Главная › Форумы › Вести с рыбалок › Рыбалка в Эстонии : Реки, озера, заливы и прочее. › Реки: › Вигала / Vigala jõgi
- В этой теме 95 ответов, 24 участника, последнее обновление 3 недели, 4 дня назад сделано
boroda.
- АвторСообщения
- 10.04.2020 в 19:43#23378
Главная › Форумы › Вести с рыбалок › Рыбалка в Эстонии : Реки, озера, заливы и прочее. › Реки: › Вигала / Vigala jõgi › Вигала / Vigala jõgi

AlekseikУчастникТоже сегодня скатался, ловил с 8-00 до 17-00,один фидер,насадка креветка. Основная рыба с утра и до 11-30и
10.04.2020 в 21:42#23384Главная › Форумы › Вести с рыбалок › Рыбалка в Эстонии : Реки, озера, заливы и прочее. › Реки: › Вигала / Vigala jõgi › Вигала / Vigala jõgi

AlekseikУчастникДа не нашёл темы вигала, смотрю отчёты сюда пишут, сюда и написал, ловил на вигала, ниже слияния Вигала и Велисе)
11.04.2020 в 10:21#23398Главная › Форумы › Вести с рыбалок › Рыбалка в Эстонии : Реки, озера, заливы и прочее. › Реки: › Вигала / Vigala jõgi › Вигала / Vigala jõgi

MaksudУчастникАндрей, ты верно подметил с названием. А Алексей всё правильно сделал — писАть нужно именно сюда.
Сегодня название темы подправим.ЛИЧНО Ж МНЕ ОЧЕНЬ понравился отчёт Валентина.
Хороший слог, пишет легко и с юмором и не рассусоливает как Максуд на 3 страницы. ))))
Давай, Валентин, пиши ИЗЧО ! ))11.04.2020 в 19:03#23413Главная › Форумы › Вести с рыбалок › Рыбалка в Эстонии : Реки, озера, заливы и прочее. › Реки: › Вигала / Vigala jõgi › Вигала / Vigala jõgi

ValentinУчастникГлавное не поймать, главное — донести! )))
После того как вчера я смог на себе по настоящему оценить эту старую русскую поговорку, в голове созрело решение взять кого нить в напарники , что бы грыжу не заработать)
Напарник мой, дюже прожженный спиннингист, настолько прожженный, что даже сам делает воблеры на которые ловит, а на новый год (без шуток!) дома украшает елку блеснами и джерками (думаю Максуд узнает его на фото :) ) на идею половить белую рыбу, да еще на поплавок, сначала посмотрел так же, как мой кот на соевую сосиску))) Однако после слов о том, что кумжу не вялят, и обещаний отдать всю пойманную рыбу (вчерашних 16 кг мне хватило с лихвой) поехал в гараж доставать из угла давно забытый матч.
— «Таак, быстренько приезжаем, до обеда набиваем два мешка вимбы, и сразу домой… мне еще рыбой заниматься, а потом воблеры красить.» — тихо бормотал Николай по дороге в Румба. Я молча сидел рядом, вспоминая нашу последнюю совместную рыбалку.. Тогда, после моих обещаний надубасить вимбы, мы целый день в поисках рыбы проходили пешком вдоль реки по полям, поймали на двоих одного голавлика, и под вечер, еле живые кое как доползли до машины. (кстати этот личный рекорд по ходьбе с поплавком я до сих пор не побил!) :)))
Продолжение следует.11.04.2020 в 19:57#23416Главная › Форумы › Вести с рыбалок › Рыбалка в Эстонии : Реки, озера, заливы и прочее. › Реки: › Вигала / Vigala jõgi › Вигала / Vigala jõgi

JevgeHaУчастник..что только Максуд?
Коляну привет…
..это он сейчас спиннингист, в своё время в Нарве такие рыболовные шоу устраивал, с фидером, некоторые до сих пор помнят.. .. поспрошай его, расскажет
11.04.2020 в 21:12#23421Главная › Форумы › Вести с рыбалок › Рыбалка в Эстонии : Реки, озера, заливы и прочее. › Реки: › Вигала / Vigala jõgi › Вигала / Vigala jõgi

ValentinУчастникJevgeHa
Если сам не прочитает, передам обязательно.
11.04.2020 в 21:14#23423Главная › Форумы › Вести с рыбалок › Рыбалка в Эстонии : Реки, озера, заливы и прочее. › Реки: › Вигала / Vigala jõgi › Вигала / Vigala jõgi

ValentinУчастникУтро субботы выдалось на удивление морозным, вся живность попряталась, и как я не разглядывал в окно автомобиля проносящиеся мимо поля и леса, кроме пары ворон и одного аиста, больше зверья не увидел. А мы уже давно свернули с главного шоссе и ехали по грунтовке…
-» И кто вообще сейчас в эти приметы верит» крутилось в голове, но все равно от сердца отлегло, когда в конце пути перед самой парковкой, знакомое стадо коров было на месте))))
Запарковались, и выдвинулись в путь, напарник кроме удочки предусмотрительно взял и пакет с пакетами для рыбы, по пути подсчитывая, скока килограммов соли ему купить на обратном пути) Дошли без приключений, и даже место оказалось не занято, хотя свежие следы жизнедеятельности рыболовов присутствовали.
Я все же слегка переживал, погода менялась, а после нашей последней рыбалки друга подводить не хотелось.
-» Нуу, начнем» — сказал Николай, и пока я раскладывал удочку, он уже выудил первую вимбу. А пока я насаживал опарыша, он, со словами -«пакетов мало взял» доставал вторую.
После его третьей вимбы я тоже обрыбился в общую копилку, потом поймали еще по одной, а на этом «страшный жор» как то сразу затих.. Пакет с пакетами сиротливо лежал в сторонке, символизируя собой чью то несбывшуюся мечту…)))
11.04.2020 в 21:37#23424Главная › Форумы › Вести с рыбалок › Рыбалка в Эстонии : Реки, озера, заливы и прочее. › Реки: › Вигала / Vigala jõgi › Вигала / Vigala jõgi

MaksudУчастникДа, Валентин…. ОПЯТЬ мои приметы работают:
1. не возьмёшь с собой на рыбалку пакет — не в чем будет рыбу нести.
2. захочешь обмануть ситуацию, и… чем больше пакетов возьмёшь, тем меньше рыбы поймаешь.
))))
Работает в 90% из 100 случаев.
)))11.04.2020 в 21:56#23430Главная › Форумы › Вести с рыбалок › Рыбалка в Эстонии : Реки, озера, заливы и прочее. › Реки: › Вигала / Vigala jõgi › Вигала / Vigala jõgi

ValentinУчастникПосле резвого начала паузы по 20 минут между поклевками казались вечностью, но на деле пакетик потихоньку наполнялся. Конечно не с той скоростью, на которую рассчитывал мой напарник, но мечта в виде вяленой вимбы постепенно воплощалась в реальность. И если бы не северо западный ветер, который после 11 часов утра поднял на речке волны полуметровой вышины с барашками, то следующий заезд за вимбой Николай сделал бы не раньше чем через пару лет, а рыбу до машины пришлось бы носить с перекурами до вечера, но, пронесло!)))
В итоге, после борьбы с ветром, когда мы в 15.00 закончили рыбалку, на двоих нами было поймано 38 вимб, общий вес не знаю, но таскать рыбу за два дня мне надоело)
Ну, как то так…
Всем добра!
12.04.2020 в 12:59#23454Главная › Форумы › Вести с рыбалок › Рыбалка в Эстонии : Реки, озера, заливы и прочее. › Реки: › Вигала / Vigala jõgi › Вигала / Vigala jõgi

ObrazУчастникВчера были на реке с 5-20 . Ветер был сильный, но ловили все . В улове ,только Вимба .
16.04.2020 в 15:43#23575Главная › Форумы › Вести с рыбалок › Рыбалка в Эстонии : Реки, озера, заливы и прочее. › Реки: › Вигала / Vigala jõgi › Вигала / Vigala jõgi
MarkuhaУчастникБыл 15.04.20 на реке в районе Румба с 06.00 до 18.00. Ловил на фидер на червя и опарыша. Погода — дрянь. С утра — дождь, с обеда — ветер. Улов: 6 плотвин и 8 рыбцов ( если бы не ленился использовать подсак, было б 10).
18.04.2020 в 04:31#23676Главная › Форумы › Вести с рыбалок › Рыбалка в Эстонии : Реки, озера, заливы и прочее. › Реки: › Вигала / Vigala jõgi › Вигала / Vigala jõgi

KAMBALOSУчастникСегодня с 19.00 до 2ночи
Рагульки стоят в зх метрах от берега,под водой,но водичка убывает на глазах.вимбасики крупные но мало,3 штуки слил под берегом,1 взял,много мелкого налима до часу ночи не давал перекурить.
Напарник так же поймал 1 вимбу,2ой экипаж по 2шт на брата,последний созвон в 4.50утра,раздачи не наблюдалось.
19.04.2020 в 20:30#23719Главная › Форумы › Вести с рыбалок › Рыбалка в Эстонии : Реки, озера, заливы и прочее. › Реки: › Вигала / Vigala jõgi › Вигала / Vigala jõgi

ValentinУчастникПарни, если вам утром трудно вставать на рыбалку, примите таблетку виагры и начинайте вставать по частям.
— Две последние рыбалки мне пришлось поработать будильником, в принципе то ничего страшного, вот только рып последнее время ловился лучше с самого утра, и выезжать с дома засветло уже немного поздно)
Так было и сегодня, когда пришли с товарищем на речку, первые три вимбы поймал почти сразу, потом пара сходов — (брала на «дальняке», в самом конце проводки — банально не доволок), следом несколько одиночек, и постепенно к 10 утра клев обрезало совсем. За это время успел вымучить 6 вимб, а три по честному заработали второй шанс (подержал на крючке по несколько минут)
Воды по самые фаберже, всю рыбалку пришлось стоять в воде по колено. До ближайшего сухого берега метров 20, и если надо перевязать поводок ( а крючки сегодня кончались быстрее чем опарыши) то приходилось ползти по трясине до большой земли, что слегка снижало удовольствие от процесса ловли)
В час дня меня это конкретно задолбало, и было принято решение по быстрому свалить домой.

Всем Добра!19.04.2020 в 20:36#23720Главная › Форумы › Вести с рыбалок › Рыбалка в Эстонии : Реки, озера, заливы и прочее. › Реки: › Вигала / Vigala jõgi › Вигала / Vigala jõgi
MarkuhaУчастникСегодня рядом с Румба на фидер с 06.00 до 17.00 на червя и опарыша.
20.04.2020 в 14:07#23739Главная › Форумы › Вести с рыбалок › Рыбалка в Эстонии : Реки, озера, заливы и прочее. › Реки: › Вигала / Vigala jõgi › Вигала / Vigala jõgi

KAMBALOSУчастникValentin- на вигала ловил или на велизе?????
20.04.2020 в 15:12#23740Главная › Форумы › Вести с рыбалок › Рыбалка в Эстонии : Реки, озера, заливы и прочее. › Реки: › Вигала / Vigala jõgi › Вигала / Vigala jõgi

ValentinУчастникKAMBALOS
Вигала речка.22.04.2020 в 18:14#23815Главная › Форумы › Вести с рыбалок › Рыбалка в Эстонии : Реки, озера, заливы и прочее. › Реки: › Вигала / Vigala jõgi › Вигала / Vigala jõgi

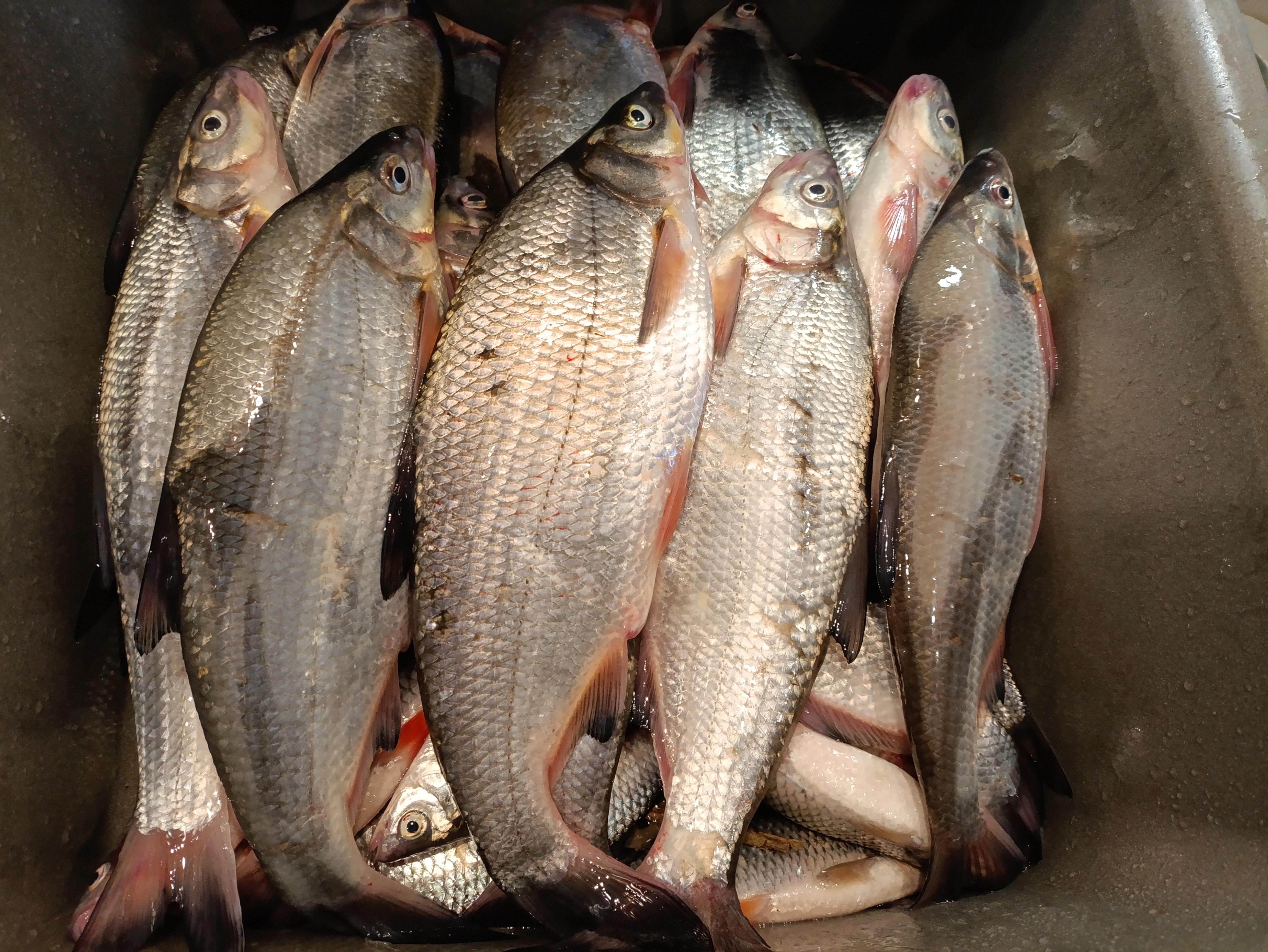
MaksudУчастникПозавчера ниже моста Румба, но не так низко ( точно ВИГАЛА, а не Казари ).
Удочка болонка шестёрка, поплавок 8гр., опарыш.
Улов — почти ведро за 6 часов лова.
Понимаю, что данные фотографии лучше бы опубликовать в разделе «будни мясника» ))), НО НАШ НОВЫЙ фОРУМЧАНИН Grej 84 УЖ ОЧЕНЬ хотел доказать, что ловля на удочку сейчас более перспективна, чем на фидер.
За пролитую рыбью кровушку и неэстетичный вид извиняется ( Простим новичку ).
25.04.2020 в 12:21#23885Главная › Форумы › Вести с рыбалок › Рыбалка в Эстонии : Реки, озера, заливы и прочее. › Реки: › Вигала / Vigala jõgi › Вигала / Vigala jõgi

EvgennУчастникСейчас только приехали, били на реке часа 3, вимбасик не очень активен но получилось изловить, два схода ещё было.
12.07.2020 в 07:30#25713Главная › Форумы › Вести с рыбалок › Рыбалка в Эстонии : Реки, озера, заливы и прочее. › Реки: › Вигала / Vigala jõgi › Вигала / Vigala jõgi

rybalingХранительПока спасатели после вчерашнего штормового ветра разгребают завалы из деревьев , а электрики пытаются восстановить нормальную работу свыше 34 000 домохозяйств, Анатолий, спокойно уединился в своих «околоКазаривских» пенатах и знай себе таскает голавля.
При этом , ни ветер, ни дождь ему не помеха.
«Помеха» — какой то крокодил, «обидевший» вчера рыбака, нагло отобравший честно заказанный и полученный из Китая воблер, и ушедший с пирсингом в свои владения.
И хотя Анатолий — добрейший души человек и абсолютно не злопамятный, но всётаки сегодня, в 5 утра , не поленился, встал, взялСВДспининг и пошёл наказывать обидчика.
Позже узнаю как у него состоялась утреняя рыбалка, а вчера несколько штук примерно вот таких.
18.07.2020 в 15:38#25807Главная › Форумы › Вести с рыбалок › Рыбалка в Эстонии : Реки, озера, заливы и прочее. › Реки: › Вигала / Vigala jõgi › Вигала / Vigala jõgi

rybalingХранительНи в те, ни в эти выходные своего обидчика Анатолий не достал. Слинял, зараза, куда то!
Сегодня с утра рыб был в активе.
В руках Толик подержал:
голавлей — 9 штук
щурят — 2 штуки
окушок 1 хвост
Для всех амнистия была на месте.Этих пятерых поймал попозже, для 2 семей к ужину.

Всё поймано на китайского жука ( почти дармовой, но ведь как работает!! )
А вот шершни , купленные здесь за немалые деньги , пока молчат.В промежутке между утренней и дневной рыбалками заглянул в лес.
Чутка насобирал. Опять таки к ужину.
12.08.2020 в 08:40#26203Главная › Форумы › Вести с рыбалок › Рыбалка в Эстонии : Реки, озера, заливы и прочее. › Реки: › Вигала / Vigala jõgi › Вигала / Vigala jõgi

rybalingХранительНесколько строк от Анатолия.
Это фото он почему то скинул во флудилку ( наверное голавлик показался маленьким ))))
Пойман на китайскоую дешёвку — жук плавунец,
На самом деле приманка не так важна. Важна вибрация на очень медленной проводке, потому что воды много и она мутновата.
Разумеется, проводка в самых верхних слоях, так как у голавля верхнее зрение. Он питается с поверхности.
Очень мне нравится ловить эту рыбу, а вернее даже не ловить, а охотиться, так как рыбалка по голавлю это НАСТОЯЩАЯ охота.
Беру мало, 1-2 штучки. Реже 3-4 и то, когда приезжают гости.
В основном всё отпускаю..15.10.2020 в 18:50#27658Главная › Форумы › Вести с рыбалок › Рыбалка в Эстонии : Реки, озера, заливы и прочее. › Реки: › Вигала / Vigala jõgi › Вигала / Vigala jõgi

rybalingХранительАнатолий совмещает приятное с полезным ( правда, что из этого первое, а что второе, ещё надо как следует «помытлеть». ))

Два килошных подрастают. Этот чутка поболее, пошёл знакомится с кухней Толика.
После рыбалки часок прогулки по лесу — корзина груздей как с куста.
21.11.2020 в 14:45#28234Главная › Форумы › Вести с рыбалок › Рыбалка в Эстонии : Реки, озера, заливы и прочее. › Реки: › Вигала / Vigala jõgi › Вигала / Vigala jõgi

rybalingХранительВигала, верховье. Сегодня утром.
Приехали после 8, уже светло было. Встали на яме 5,5 м. Закормились.
Плотва отозвалась через минут 20. В основном крупная, 180+, отдельные мамки по 300гр.
После шара прикормки сразу клюёт 2-3 плотвицы, в течение 10 минут ещё 2-3, потом опять закармливать надо.
Через часик и окунь «проснулся». ( это на опарыша то!
) Разноколиберный, но крупняк тоже попадался.
Ветра в низине почти нет, но ловить холодно, руки стынут.
После часа дня клёв стал ослабевать.Информацией поделился Сергей ( ещё сидит ловит ).
09.03.2021 в 14:27#30039Главная › Форумы › Вести с рыбалок › Рыбалка в Эстонии : Реки, озера, заливы и прочее. › Реки: › Вигала / Vigala jõgi › Вигала / Vigala jõgi

rybalingХранительВесна ещё (вроде бы… ?? ) не пришла, а разлив такой, как на Волге. ))
Минувшая пятница. Уровень воды выше и ниже моста.

05.05.2022 в 11:22#35312Главная › Форумы › Вести с рыбалок › Рыбалка в Эстонии : Реки, озера, заливы и прочее. › Реки: › Вигала / Vigala jõgi › Вигала / Vigala jõgi

rybalingХранительВигала вчера.

Вопрос: есть ли рыба на Вигала?
Ответ: да дофигааааа…… ))Вопрос: ловится ли она там?
Ответ: вы донной и придонной рыбы МНОГО видите? Вот и я нет.
Ответ устраивает? ))
05.10.2022 в 16:38#37200Главная › Форумы › Вести с рыбалок › Рыбалка в Эстонии : Реки, озера, заливы и прочее. › Реки: › Вигала / Vigala jõgi › Вигала / Vigala jõgi

rybalingХранительВолодя едет с рыбалки и параллельно звонит мне.
В выходной его знакомый был на реке, неплохо отловился по плотве. Ну и «слил» Владимиру инфу. А тот, в свою очередь, делится ей с нами.))Рыбачил с утра на две снасти: болонка и фидер. На последнюю рыба как то кисло реагировала, хотя наличие её в реке бесспорно. Две штучки среднего размера. Но поклёвки были. Или мелочь, или просто не засечь.
Зато болонка порадовала и количеством , и размером. С утра и до 14-ти ( последний час-полтора клевало уже плохо ) 34 хороших хвоста. Рыба крупная, тащить её на шестиметровую снасть одно наслаждение.
( я даже знаю КАК МИНИМУМ одного Форумчанина, кто постарается воспользоваться этой информацией и поехать за осенней плотвой в своё излюбленное место. ))
)P.S. Пока набирал текст, то да сё….., Владимир уже добрался до дома. Взвесил рыбу ( 34 + 2 ) , получилось 6.800. Отобрал 4 шт. самые крупные. Их вес 1030гр., то есть в среднем 260гр. плотвина! Но это самые крупные.
05.10.2022 в 16:40#37201Главная › Форумы › Вести с рыбалок › Рыбалка в Эстонии : Реки, озера, заливы и прочее. › Реки: › Вигала / Vigala jõgi › Вигала / Vigala jõgi

rybalingХранительДа, забыл….. Прикормка Трапер секрет Плотва Конопля.
04.05.2023 в 13:00#40214Главная › Форумы › Вести с рыбалок › Рыбалка в Эстонии : Реки, озера, заливы и прочее. › Реки: › Вигала / Vigala jõgi › Вигала / Vigala jõgi

rybalingХранительОдин мой очень хороший приятель побывал на реке. Вот его впечатления от рыбалки.
«Привет, Максим. Расскажу о нашей позавчерашней рыбалке. Приехали на реку около 7 утра. С нами поехал ещё один товарищ. Без сюрпризов не обошлось… Когда мы с ним едем, что-то всегда случается. То удилище сломает, то телефон утопит, то на Хельтерма в воду с камней упадет, причем два раза… По одному разу у него редко получается. Это уже стало традицией. Но на этот раз всё было проще: он взял все снасти, а катушки дома забыл… Выделил я ему свою запасную , ну и, разумеется, первая поклёвка вимбы была у него. Типа, и я к этому как то причастен. ) Дотащил до берега, она показала живот, и сошла. Ну и на этом раздача рыбы у нас закончилась. )) Я поймал две плотвицы местного разлива, жена ерша и уклейку. Все эти «трофеи» отпущены. Когда приехали, стояла одна машина, три человека сидели на берегу. Мест свободных много, но берег плотно вытоптан. К 10 утра народу прибавилось, уже стояло машин 8-10. Но рыб никто не ловил… И мы, и среди нас были одни «спортсмены» — НЕ поймал, но отпустил 🤩.Часов в 11 собрались и поехали домой собаку выгуливать…😃
Да, и ещё…. Заметил, что вода была почему то не просто мутной, а жёлто-коричневого цвета. То есть, мутняк конкретный. Может поэтому рыб отказывался брать. А может уже и выше проскочил.
Не смотря на НЕ улов, весьма неплохо и даже весело провели время. А то обстоятельство, что НИКТО из рыбаков не поймал, вселило в нас надежду, что это не мы такие криворукие, это рыба такая криворотая. ))
На том и раскланиваюсь.
Всем здоровья, удачи и везения на водоёмах».Обратите внимание: улов вообще никакой, но в рассказе СПЛОШНОЙ позитив !!
Вот так и надо относится к рыбалке !08.06.2024 в 07:14#44444Главная › Форумы › Вести с рыбалок › Рыбалка в Эстонии : Реки, озера, заливы и прочее. › Реки: › Вигала / Vigala jõgi › Вигала / Vigala jõgi

rybalingХранительКак сказал Виктор, давно не было прямых репортажей, и вот время пришло))…
Это тот самый Виктор — — победитель конкурса с глазомером.))
Поехао на Вигала «карточку обмывать»)))).
Ну и с места событий прямой репортаж от него прямо сейчас….
08.06.2024 в 07:23#44445Главная › Форумы › Вести с рыбалок › Рыбалка в Эстонии : Реки, озера, заливы и прочее. › Реки: › Вигала / Vigala jõgi › Вигала / Vigala jõgi

rybalingХранительВиктор вещает…
«Неожиданно для себя выиграл в конкурсе и получил подарочную карточку ( спасибо Максиму!) и решил на неё сделать себе подарок. Много слышал про спиниады, но такой приманки у меня нет, а тут такой случай. Ну и стал я вчера счастливым обладателем желтенького толстячка.
С чего ему дома пылиться? Решил сегодня искупать в речке Вигала….
Когда из Таллинна выезжал, поливало нехило. Но ближе к Рапла распогодилось.
В 6.50 утра у меня уже первая поклевка….. «
08.06.2024 в 08:14#44446Главная › Форумы › Вести с рыбалок › Рыбалка в Эстонии : Реки, озера, заливы и прочее. › Реки: › Вигала / Vigala jõgi › Вигала / Vigala jõgi

rybalingХранительЗнакомство со спинмадом (1).
08.06.2024 в 08:56#44448Главная › Форумы › Вести с рыбалок › Рыбалка в Эстонии : Реки, озера, заливы и прочее. › Реки: › Вигала / Vigala jõgi › Вигала / Vigala jõgi

rybalingХранительПравило хорошего тона: не зависимо от размера рыбы ( пусть даже попался и крокодил ) ПЕРВУЮ рыбу, пойманную на новую приманку, всегда отпускаем. )
https://www.youtube.com/shorts/-oTgZXwPyts
А пока ( местное время 8.34 ) рыбалка у Виктора продолжается…..
Ждём новых видео.08.06.2024 в 13:16#44453Главная › Форумы › Вести с рыбалок › Рыбалка в Эстонии : Реки, озера, заливы и прочее. › Реки: › Вигала / Vigala jõgi › Вигала / Vigala jõgi
ВикторУчастникПосле очередной подарочной карты поехал сегодня пробовать призы)
Хоть Максим мне вчера и посоветовал куда ехать, чтоб без щуки не остаться и недалеко, но настроение было пожечь бензина и я, как обычно открыл гугл мапс 😂
Не знаю как, но выбор мой пал на реку Вигала. Со спутника там казалась такая широкая добротная река, а на месте выяснилось другое 😅
Но ничего, раз приехал — надо пробовать, хоть и река больше походит на голавлиную)
Начал со своего любимого уже вестина, но за 10-15 минут ни тычка и решаю попробовать Спинмад)
Пара забросов и есть контакт. Не мерил, но уверен, что мерная, но сегодня рыбы никто не заказывал, поэтому все обратно 😁
Покидал еще немного, но больше ничего. А поскольку место где покидать там по сути одно и его я уже обкидал, решаю переехать тоже на реку Вигала, но в другое место. И там такая же картина — пара мест, где кинуть и скорее под голавля. Но тем не менее почти сразу садится шнурок, потом ещё один и всё.

Значит снова переезд)
Вернее переездов было несколько и все по Вигала, но уже без рыбы и решаю двигать в сторону дома, попутно проверив одно интересное( с гугл мапс)) место. На реке Кейла. Место действительно Оказалось интересным и не только на картах. Но ничего путного поймать там не удалось, разве что шнурка на живца, а вот новенький спинмад я очень досадно оборвал, а он еще последний такой расцветки был, эх.. Но ничего, куплю похожий)
Ну и шнурка вам с Кейла тоже нате))))
08.06.2024 в 16:47#44455Главная › Форумы › Вести с рыбалок › Рыбалка в Эстонии : Реки, озера, заливы и прочее. › Реки: › Вигала / Vigala jõgi › Вигала / Vigala jõgi

rybalingХранительДа ни фига ж себе заглот у шнурка !
******************************************
Тааак… Витя уже и рыбалку закончил, и ко мне в магазин за потерянным спинмадом успел приехать. А мне всё его видео не выставить. ))
Меняем место, но река та же.
https://www.youtube.com/shorts/apx6KZonqDY
06.10.2024 в 17:20#45250Главная › Форумы › Вести с рыбалок › Рыбалка в Эстонии : Реки, озера, заливы и прочее. › Реки: › Вигала / Vigala jõgi › Вигала / Vigala jõgi

rybalingХранительДинамичную охоту на хищника ( был приглашен на острова, но отказался ) Алексей променял на тихую и спокойную рыбалку на берегу реки.
Вот что из этого получилось……
…28.03.2025 в 22:02#46619Главная › Форумы › Вести с рыбалок › Рыбалка в Эстонии : Реки, озера, заливы и прочее. › Реки: › Вигала / Vigala jõgi › Вигала / Vigala jõgi

rybalingХранительВчера вечером от одного своего знакомого узнал, что в последние два дня на реке неплохо ловят плотву. Сегодня утром эту информацию подтвердил один из клиентов нашего магазина ( «Vobler»).
Народу хватает. Все ловят на фидеры и донки, так что проводку удочкой сделать невозможно. Удивляет то, что по словам обоих рыбаков ни у кого вимбы не было! Сплошная плотва.
02.04.2025 в 15:48#46745Главная › Форумы › Вести с рыбалок › Рыбалка в Эстонии : Реки, озера, заливы и прочее. › Реки: › Вигала / Vigala jõgi › Вигала / Vigala jõgi

AleksandrУчастникСегодня на Вигала, район Румба. Народ присутствует, рыбка потихоньку ловится, свободного места хватает. В улове в основном плотва. Иногда проскакивает вимбасик. Ловят на фидер и донки.
02.04.2025 в 15:50#46746Главная › Форумы › Вести с рыбалок › Рыбалка в Эстонии : Реки, озера, заливы и прочее. › Реки: › Вигала / Vigala jõgi › Вигала / Vigala jõgi

AleksandrУчастникС рассвета и до 12.30 немного подловил.
03.04.2025 в 13:14#46760Главная › Форумы › Вести с рыбалок › Рыбалка в Эстонии : Реки, озера, заливы и прочее. › Реки: › Вигала / Vigala jõgi › Вигала / Vigala jõgi
АлександрУчастникДоброго всем дня!!! Вчера так же были на Вигала, но чуть ниже Александра, встали на яме, писать одно и тоже не хочется
, но у меня есть что показать, а именно я захватил с собой дипер и перед началом рыбалки, пока прикормка настаивалась после 1го увлажнения решил его покидать в обе стороны от точки кормления, ниже пойдут скрины
думаю разберетесь в локации, а точку закорма и самой ловли как раз совпал +- с этим сканом.




Вот такая вот картина у нас в реке, много мелочи, мало крупной… напарник поймал 2 криминальных вимбы, еще одна сошла, по плотве, клевало волнами, шершавая, и в промежутках местная, в прилове много мелкой густеры. Когда выехали домой, проезжая мост через Казари, увидели, что 2 товарища ловили прямо с моста, как раз при нас достали рыбку.
Для тех кому интересно, продолжение со сканами смотрите в другой теме )
Всем НхНч! Удачных весенних рыбалок!!!
05.04.2025 в 08:32#46792Главная › Форумы › Вести с рыбалок › Рыбалка в Эстонии : Реки, озера, заливы и прочее. › Реки: › Вигала / Vigala jõgi › Вигала / Vigala jõgi

borodaУчастникПривет.
Вчера на реке ожидаемо рыба ротик призакрыла. Погода резко сломалась. Сильно похолодало и заветрело. Аж зубы порой подмерзали, не говоря уже о руках и других частей тела рыбацкого. Рыбачить было крайне не комфортно, ветер удочку ломал, мормышка умудрилась аж за шиворот меня словить!По ощущению рыба в реке есть, но не так уж её и много. И активно кормиться точно не хотела. Мне не нравится выражение, что «рыбалка была трудовая», но по сути это так.
Рыбу, (как в молодости свою будущую жену) надо было чем-то удивить, ухаживать за ней надо было, уговаривать на свидание, а в конце сделать предложение от которого она не смогла бы отказаться. С женой это у меня получилось 40 с лишним лет назад. С рыбкой вчера тоже получилось…
(но не в полной мере…)…А кто скрупулёзно вчера к рыбалке не относился, звенья рыбацкого результата в одну цепочку не скомплектовал, то и результата не получил. Ясно, и я согласен с тем, что количество рыбы на рыбалке — это не главная цель, важен сам процесс, но если Вам и здесь нужен результат, то количество правильных звеньев в цепи рыбацкого успеха должно быть достаточным.
По существу:
Воды в реке мало, но течка в наличии. Поплавком 6 гр рыбачить было немного не комфортно, а 8 гр — самое то! На прикормку рыба отзывалась, но не активно. С другой стороны — рыбак правее меня и вовсе поклёвок не получал. Работала яркая красно-салатовая мормышка с крючком № 12. Эффект был от свежей наживки.
Что-то обсосанное и не симпатичное рыбу не привлекало вовсе (это одно из звеньев цепи успеха).
Плотва ещё больше, опять же ожидаемо, рот закрыла и в улове её у меня было не более десятка. По вимбе тоже норму малость не добрал, но, настроение было такое, что упираться сильно в такую погоду не хотелось. Не хотелось сильно «трудиться». С утра до десяти ещё как-то удавалось рыбку уговаривать, а после она и вовсе закапризничала. Народ после 10 стал расходиться. И мы в 11 рыбачить закончили.Как-то так, «трудиться» надо было. А было лень…
Всем добрых рыбалок и НХНЧ.
18.04.2025 в 17:07#46972Главная › Форумы › Вести с рыбалок › Рыбалка в Эстонии : Реки, озера, заливы и прочее. › Реки: › Вигала / Vigala jõgi › Вигала / Vigala jõgi
АнонимНеактивированныйСегодня похоже рыбка рот открыла, да так, что умельцы МАСТЕРА, за пару часов норму взяли. Я решил фидером, потом удочкой, на что лучше и ловилась, общим лучше бы остановился на фидере, здесь я преуспеваю, но хотелось и удочкой, но снасть малость не та, что нужно. Два зайца, или шарахание, то или то, не лучший способ. Напарник даже выпускал меньшую, беря большую. Ну и в итоге можно сказать, что это самая успешная рыбалка на этой реке, в этом сезоне.
26.04.2025 в 12:07#47027Главная › Форумы › Вести с рыбалок › Рыбалка в Эстонии : Реки, озера, заливы и прочее. › Реки: › Вигала / Vigala jõgi › Вигала / Vigala jõgi
АнонимНеактивированныйСпустя дней пять, рыба можно сказать опять пёрла, во всяком случае у меня. А вот вчера, тоже место и облом. С утра поймал одну, и облом. Поклёвки были не пойми какие, а поднять ничего не получилось, и так пару часов. Сменил место, и рыба отозвалась, не густо, но уже хотя бы интересно стало. Капризничала не хило, то одно ей подай то другое, то комбинацию, а в конце потребовала польского червя, до этого нос воротила.
07.05.2025 в 22:02#47135Главная › Форумы › Вести с рыбалок › Рыбалка в Эстонии : Реки, озера, заливы и прочее. › Реки: › Вигала / Vigala jõgi › Вигала / Vigala jõgi
АнонимНеактивированныйПервого мая решили закрыть сезон по вимбе. Погода была «мерзопакостная», ветер дул не хило, а мы одеты по майски. Рыб не ловится, решили половить вимбаса выше, на Велизе, и там ничего, решили переехать ниже на Вигала, там рыб отозвался в единичных экземплярах, всё, закрываем сезон. Но чешется, сегодня снова рванули, цели у нас разные. Я всё же на фидер. Ну что, с 7,30 — 13,30 5 вимб, и в метре от берега ушел голавль, так где то полторашка. Напарники преследовали другие цели, удовольствия получили. Ну и сезон уж точно закрыли, что Рею, что Тори, что Вигала, в этом сезоне нас радовали уловами вимбасика.
12.03.2026 в 18:15#50384Главная › Форумы › Вести с рыбалок › Рыбалка в Эстонии : Реки, озера, заливы и прочее. › Реки: › Вигала / Vigala jõgi › Вигала / Vigala jõgi

rybalingХранительВигала, так называемый вимбовый променад.
Река открыта ровно напаловину ( по серёдке ). Но пока мутновато, не до ловли. Периодически несёт мусор.https://www.youtube.com/shorts/sg09G7U-mHs
18.04.2026 в 23:13#50782Главная › Форумы › Вести с рыбалок › Рыбалка в Эстонии : Реки, озера, заливы и прочее. › Реки: › Вигала / Vigala jõgi › Вигала / Vigala jõgi

АльбертУчастникБыл сегодня в Румбу. На фидер норму вимбы взял. С 8.30 до 11.00 рыб брал активно. Предпочтение было креветка+опарыш. Днем было затишье.После 15.00 клев немного активизировался. Ловилась червь+опарыш. В прилове плотва. У товарища за весь день одна плотвина
. Менял 3 раза место и слева от меня и справа, но безрезультатно.19.04.2026 в 09:26#50783Главная › Форумы › Вести с рыбалок › Рыбалка в Эстонии : Реки, озера, заливы и прочее. › Реки: › Вигала / Vigala jõgi › Вигала / Vigala jõgi

borodaУчастникПривет.
Мы же с напарником поплавки болонок купали. Но когда рыба встала на прикормленную «точку», то можно было и махом порыбачить. Поклёвки наблюдались исключительно на площади 2 х 4 м. До начала работы прикормки немного клевало и на «краю географии» в самом конце проводки. И на правом берегу и на левом.
Особо крупных не было. Самая мордатая вимба потянула на 700 гр.

Но и маломерок тоже не было. Вимба средняя, плотва крупная с икрой и средняя.

Ловили тоже далеко не все, как писал Альберт. Это очень-очень мягко сказано. Т.е. это я к тому, что если кто-то думает, что там «попёрло» и надо срочно ехать на эту раздачу, то это далеко не так.
НХНЧ
- АвторСообщения
- Для ответа в этой теме необходимо авторизоваться.
