Главная › Форумы › Вести с рыбалок › Рыбалка в Эстонии : Реки, озера, заливы и прочее. › Реки: › Рейу / Reiu jōgi
- В этой теме 349 ответов, 59 участников, последнее обновление 3 часа, 50 минут назад сделано
rybaling.
- АвторСообщения
- 25.03.2023 в 18:26#39568
Главная › Форумы › Вести с рыбалок › Рыбалка в Эстонии : Реки, озера, заливы и прочее. › Реки: › Рейу / Reiu jōgi › Рейу / Reiu jōgi

rybalingХранительКак гласит известная поговорка, переделанная рыбаками-«весенниками», «Кто рано встаёт, у того тридцати восьми сантиметровая вимба по 20 штук клюёт». ))
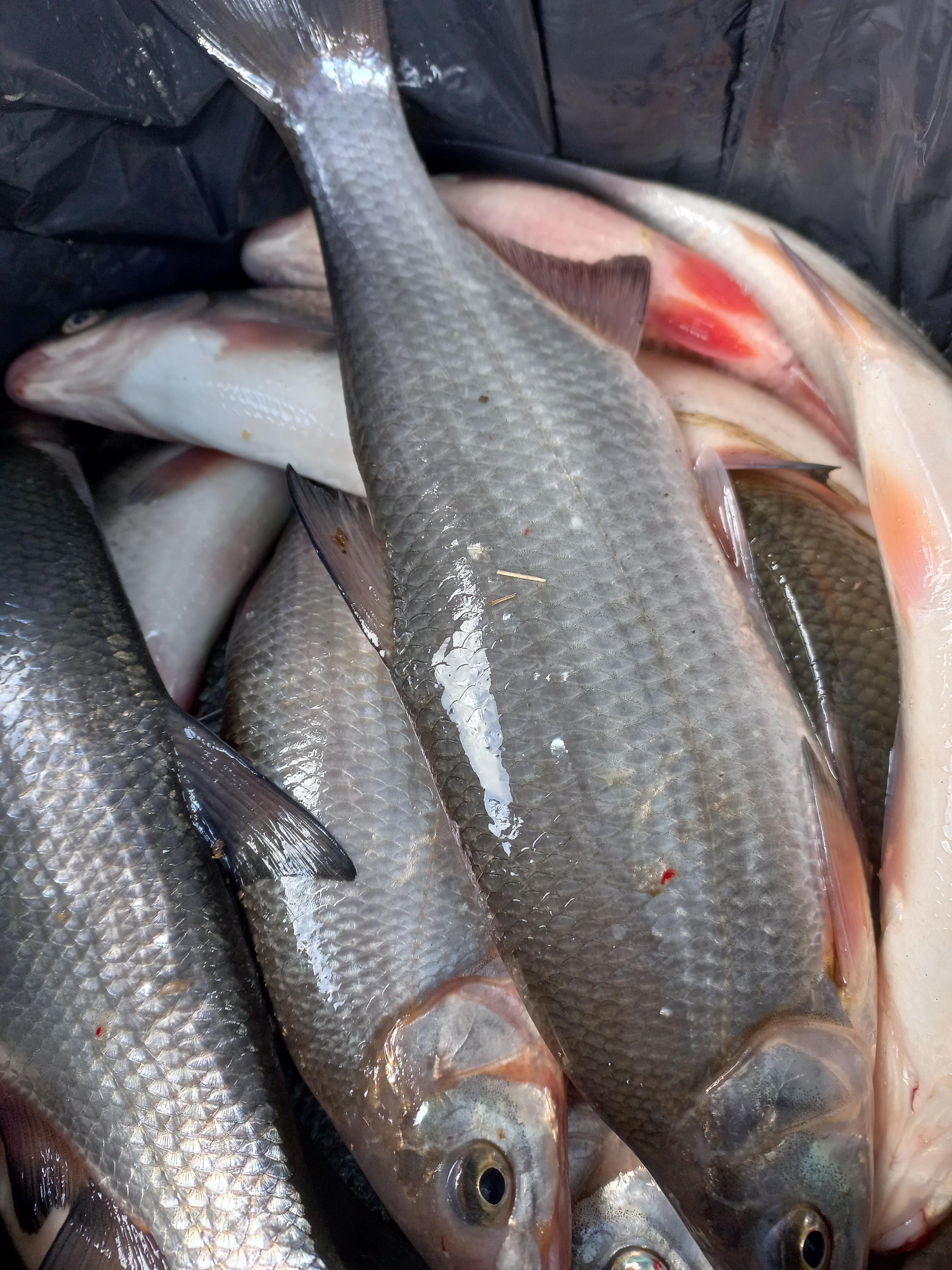
Не знаю ТОЧНО во сколько Артур встал и когда сделал первый заброс фидером, но в 11 часов свою рыбалку он уже закончил. В улове крупная плотва, елец , вимба. Причём, очень много мерной вимбы ( 30-31-32см ) он отпустил. Это, так сказать, с его слов, но недоверять его информации у меня НЕТ НИКАКОГО ОСНОВАНИЯ, потому что его улов я видел своими глазами — в час дня он подъехал к магазину и я сделал несколько фото. Рыба реально крупная.
( Представляете?? Сегодня, в субботу, кто то в 11 часов ТОЛЬКО просыпается ( возможно что с больной головой ) и встаёт, а ребята УЖЕ ЗАКОНЧИЛИ рыбалку!! )Ловить они с напарником ( Евгением ) и планировали до обеда. В 11 часов стал подниматься ветер, вот ребята и свернулись. Ведь «норму» поймали, кайф от вываживания получили, а учитывая, что сам Артур рыбу вообще не ест, то и те 20 штук , что поймал ( вернее ЗАБРАЛ. Поймал то он больше ) , ему за глаза и за уши.
Да, течка сильная и кормушку несёт. Поводок тоже длинный, но рыба отзывчива.
Народу очень много, но если удаётся встать и не оборваться по первым трём забросам, рыбу свою ты возьмёшь.Эти фото я делал сам на нашей парковке в час дня. Размер можете оценить.

У Евгения тоже вимба и очень приличный елец !

А это фото Артур сделал уже сам перед тем, как «поделить» рыбу по родне.
(Если я ничего не путаю, то раковина 40 х 40 см.)

Евгения и Артура благодарю за фото и информацию.
26.03.2023 в 21:41#39592Главная › Форумы › Вести с рыбалок › Рыбалка в Эстонии : Реки, озера, заливы и прочее. › Реки: › Рейу / Reiu jōgi › Рейу / Reiu jōgi

rybalingХранительГлавная интрига дня: ветер, снег, морозец… А как же при таких условиях отловились ребята на Рею ??
26.03.2023 в 21:58#39594Главная › Форумы › Вести с рыбалок › Рыбалка в Эстонии : Реки, озера, заливы и прочее. › Реки: › Рейу / Reiu jōgi › Рейу / Reiu jōgi
jomajoУчастникТам было тепло 🤓иногда поливал дождь. Рыб клевал исправно. В прилове плотва,елец , язьь в размер..

27.03.2023 в 19:10#39597Главная › Форумы › Вести с рыбалок › Рыбалка в Эстонии : Реки, озера, заливы и прочее. › Реки: › Рейу / Reiu jōgi › Рейу / Reiu jōgi
jomajoУчастникВимбас солёный.

Язьььь печёный
27.03.2023 в 19:35#39599Главная › Форумы › Вести с рыбалок › Рыбалка в Эстонии : Реки, озера, заливы и прочее. › Реки: › Рейу / Reiu jōgi › Рейу / Reiu jōgi

rybalingХранительИван вчера днём прислал мне фотки и видео. Я удивился тому, что берег чистый, так как в Таллинне к тому времени всё было уже в снегу.
Действительно, как писАл выше Ё-Мaё, у них там погода стояла не в пример нашей, и рыба даже не думала закрывать рот.Но прикол был даже не в погоде , и не в открытом рте у вимбы и плотвы. Так как специализированных снастей ( фидеров ) у Ивана нет ( они только в проекте ) , а ловить хочется, на свой страх и риск для донной рыбалки на Рею он использовал ( ВНИМАНИЕ !!!!) обыкновенную 4-ёх метровую болонку и спиннинг «Фаворит Х-1» тестом 2-12. !!! И удочкой и спиннингом он умудрялся бросать груза 90гр !! Конечно это «неправильно» с точки зрения физики. Да и любой рыбак вам скажет, что ни удочка болонка с тестом до 25гр., ни лайтовый спиннинг не предназначены для этого. Но Иван умудрился ни разу ничего не сломать ( «Фаворит» отжигает !! ) , да ещё и вимбы наловить около 30кг!
Ещё один прикол состоял в том, что приехали они глубокой ночью. Ловить начали с 3 часов. Поклёвки пошли СРАЗУ на первом же забросе. Но пока не рассвело , все выловленные вимбы ( примерно штук 50 — 60. Так как часто вешались дуплетами ) пошли назад в реку. НИ ОДНОЙ мерной до рассвета на крючок не село.
Днём клевало постоянно, но размер рыбы чередовался волнами: 10-15 минут мелочь, потом 10-15 минут средняя, затем шёл крупняк.
Было много и плотвы, но процентов 80 составляла мелочь. Забрали штук 12-15, не больше. Но время эта мелочь забирала ровно столько, сколько и размерная вимба.
Из наживки опарыш. Помню, что перед рыбалкой рыбак покупал у нас и червя, но использовал его или нет — не знаю.Вот как то так, «неправильными » снастями отловился в воскресенье Иван.
Автора коротенького видео благодарю за информацию !
https://www.youtube.com/shorts/fzxCA1inngE
28.03.2023 в 16:30#39606Главная › Форумы › Вести с рыбалок › Рыбалка в Эстонии : Реки, озера, заливы и прочее. › Реки: › Рейу / Reiu jōgi › Рейу / Reiu jōgi

rybalingХранительПонятно, что вимба ловится и подо льдом, и в более холодной воде, чем сейчас. Но при резком похолодании погоды, при осадках в виде снега в 98% случаях ( в МОЁМ понимании ) рыба как правило закрывает рот. В лучшем ( для рыбака ) случае — просто клёв становится НАМНОГО хуже. Но по уловам ребят с Рею вчера и сегодня плохого клёва не замечено.
Да, мелочи НАМНОГО больше, чем неделей ранее. Она преобладает над крупной вимбой, да и самих здоровых мамок стало , вроде как, поменьше. Хотя, за сегодня тяжело говорить. Может эти мамки в 3 или в пол тртьего клевать стали. Рыбак в час дня уже уехал, набив 25-ти литровое ведро ( вимба, густера, плотва ). По количеству хвостов отпустил гораздо больше, чем взял.
Ловил чисто на опарыша. Ни креветки, ни червей не подсаживал. Его сосед по берегу пользовался креветкой. Но насколько больше ( или меньше ) у того было рыбы, сказать не может. Все постоянно в движении: насадил, забросил, поставил на подставку , тут же взял в руки, подсёк, вывел, снял, насадил, опять забросил….. У соседа тоже было всё динамично. Особо смотреть по сторонам времени не было.
Весь улов поделен на три семьи.Алексея благодарю за фото.
Вот такой вот вигвамчик соорудил себе рыбак.

Часть улова.

30.03.2023 в 18:57#39628Главная › Форумы › Вести с рыбалок › Рыбалка в Эстонии : Реки, озера, заливы и прочее. › Реки: › Рейу / Reiu jōgi › Рейу / Reiu jōgi

HomjakУчастникЧтобы наловить такое ведро, три пришлось отпустить.Очень много мелочи. Плотву и крупную густеру тоже брал, но вимбы в ведре больше.Ловил на два фидера. Один с кормушкой другой с грузом. Поводок 50+см в основном плотва.Поводок 90+ в основном вимба. На грузила без кормушки больше мелочи. С кормом вимба крупнее. Пластиковые мормышки рулят. Навозный червяк сверху два три опарыша. Ловил 8 часов. Временами кольца замерзали.
31.03.2023 в 19:27#39645Главная › Форумы › Вести с рыбалок › Рыбалка в Эстонии : Реки, озера, заливы и прочее. › Реки: › Рейу / Reiu jōgi › Рейу / Reiu jōgi

rybalingХранитель
Вчера у Александра так сложилось, что порыбачить удалось лишь час двадцать, и то вечером.
Тем не менее, 4 зачётных вимбы, четыре крупных густеры и чуть меньше десятка хороших плотвиц.
Как правило, рыбаки едут в те места ни на 2-3 часа, а как минимум часов на 6-7, а то и поболее. РАЗУМЕЕТСЯ, рыбалка с математикой не всегда «дружат» и умножать 80 минут на 5 или 6 ( чтобы понять, А СКОЛЬКО можно было бы поймать за полноценный день ) абсолютно неправильно . Тем не менее, уже по этому часу можно сделать какие то прикидки о том «ловится там сейчас рыба или не ловится».Кстати, сегодня в тех местах была проверка.
Напоминаю для постоянных жителей Эстонии и наших гостей: РАЗРЕШЁННЫЙ к вылову размер вимбы начинается с 30-ти см. Уже два года не действует правило ДВУХ размеров ( L и I ). Остался лишь один — полный «рост» рыбы, то есть, от начала рыбы до кончика хвоста.01.04.2023 в 10:18#39647Главная › Форумы › Вести с рыбалок › Рыбалка в Эстонии : Реки, озера, заливы и прочее. › Реки: › Рейу / Reiu jōgi › Рейу / Reiu jōgi
01.04.2023 в 10:51#39648Главная › Форумы › Вести с рыбалок › Рыбалка в Эстонии : Реки, озера, заливы и прочее. › Реки: › Рейу / Reiu jōgi › Рейу / Reiu jōgi

rybalingХранительСозвонился сейчас с рыбаком «К». Говорит, кругом чисто зимние пейзажи ,а на реке дурдом полный. Приехали в 4 утра . Еле нашли место, и то кое как влезли. Те, кто приехал к 5 утра , уже не встали. Очень, ОЧЕНЬ плотно люди стоят.
По рыбе позже расскажу отдельно, но удивляет размер плотвы. Она размером с хорошую вимбу, часто далеко за 30см , и не 200 , и даже не 300гр.

01.04.2023 в 11:31#39650Главная › Форумы › Вести с рыбалок › Рыбалка в Эстонии : Реки, озера, заливы и прочее. › Реки: › Рейу / Reiu jōgi › Рейу / Reiu jōgi

rybalingХранительТак, теперь по рыбе……
За час сделал 5 звонков тем, кто сейчас на реке. У всех по разному, но создаётся впечатление, что вчера и накануне клевало лучше.
И вот теперь САМОЕ УДИВИТЕЛЬНОЕ !!Тот,кто вчера читал отчёт «за тему» Казари, тот , наверное, про себя отметил , что креветка там не работала. Хотя вимба с этой реки всегда уважительно относилась к этой насадке. На Рею сегодня «абсолютно также, только наоборот». ))
Тот кто с креветкой, ловит ОЧЕНЬ хорошо. Без оной как то кисло.
Один знакомый «пожаловался» , что очень неплохо ловил на спрей криля, что взял у меня вчера ( а ведь не хотел! Я ему чуть ли не насильно его всучил )))) . И он всё утро весьма неплохо выделялся на фоне других рыбаков. Сел завтракать и куда то её положил. Потрапезничал, решил попшикать и…. Всё обыскал: и снег вокруг перерыл, и грязюку поразгребал, и в карманах посмотрел. Испарился спрей. А с ним и клёв. Говорит, за 40 минут без спрея поклёвки не видел.
01.04.2023 в 12:51#39651Главная › Форумы › Вести с рыбалок › Рыбалка в Эстонии : Реки, озера, заливы и прочее. › Реки: › Рейу / Reiu jōgi › Рейу / Reiu jōgi

rybalingХранительАвтор видео утверждает, что клюет очень часто, почти на каждом забросе. Но рыба «хитрая», часто просто теребит наживку или сходит после подсечки и трех-четырех оборотов катушки. Говорит, что соседи, стоящие неподалеку, ловят ( вытаскивают рыбу) намного реже.
https://youtube.com/shorts/gpsSowzVeiY?feature=share
01.04.2023 в 19:24#39658Главная › Форумы › Вести с рыбалок › Рыбалка в Эстонии : Реки, озера, заливы и прочее. › Реки: › Рейу / Reiu jōgi › Рейу / Reiu jōgi
02.04.2023 в 11:12#39664Главная › Форумы › Вести с рыбалок › Рыбалка в Эстонии : Реки, озера, заливы и прочее. › Реки: › Рейу / Reiu jōgi › Рейу / Reiu jōgi

rybalingХранительКак сказал мне один рыбак, ловивший вчера с лодки, народу столько, разве что на облаках не сидели. ))
Ну, и сегодня картина аналогичная.
Чтобы занять место у меня вчера ребята днём приехали и до вечера караулили тех, кто соберётся домой. А потом его по очереди ещё и всю ночь сторожили. ))
Обещали минус три, но по ощущением дубак был чисто зимний. Черви ,опарыш — всё промёрзло насквозь. Ночью изредка тоже поклёвывало, но в основном немерная вимба. С утра сегодня опять пошла раздача. На 9 часов у ребят на двоих штук 60-70 мерных вимб, крупная плотва, несколько очень солидных густёрин. За это же время отпущено более 25 хвостов немерной вимбы. Иногда она просто достаёт , ловится по 2-3 штуки подряд. Ну, видать подошла стайка молодняка и давай все крючки в округе на вкус пробовать. Мормышка в приоритете над крючком, но и на крючок тоже ловится. Креветка или креветочный спрей рулит. Не сказать, что на опарыша и на червя не ловится. Ловится, и даже не плохо. Но креветке эти наживки всё таки уступают.
Очень много зависит от места. Иногда у соседей, стоящих всего в десятке метров друг от друга, уловы разнятся в разы.
У кого то так…..
А у кого то вот так…..

А вообще сегодня в 9-10 было так.


02.04.2023 в 12:33#39667Главная › Форумы › Вести с рыбалок › Рыбалка в Эстонии : Реки, озера, заливы и прочее. › Реки: › Рейу / Reiu jōgi › Рейу / Reiu jōgi
zolotsenУчастникЗнакомые
места
02.04.2023 в 13:19#39670Главная › Форумы › Вести с рыбалок › Рыбалка в Эстонии : Реки, озера, заливы и прочее. › Реки: › Рейу / Reiu jōgi › Рейу / Reiu jōgi

rybalingХранительА там, Артур, все места знакомые. Влево-вправо не особо то побегаешь.
Кому то сейчас повезёт: ребята уезжают, кАзы»рные места сдают.
Кстати, последние 30-40-50 минут наблюдается послеобеденное затишье. Но народу на берегах по прежнему больше, чем рыбы в реке. )))
02.04.2023 в 21:50#39676Главная › Форумы › Вести с рыбалок › Рыбалка в Эстонии : Реки, озера, заливы и прочее. › Реки: › Рейу / Reiu jōgi › Рейу / Reiu jōgi
АнонимНеактивированныйСегодня мы также половили на этой реке. Утром клевало — общим попа в мыле. Где то с 10 чуть поспокойней стало. А в 13 мы решили закончить рыбалку, ибо уже наступил переизбыток, ну куда сколько, уже и радость пропала, такой рыбалки мы с напарником ещё не испытывали, и то, что где то там какие то рыбасы ускользали, никакого огорчения. Ну и наблюдали всю кухню, так сказать рыболовства, другими рыбаками. Кто как умеет, и кому как везёт.
04.04.2023 в 11:43#39703Главная › Форумы › Вести с рыбалок › Рыбалка в Эстонии : Реки, озера, заливы и прочее. › Реки: › Рейу / Reiu jōgi › Рейу / Reiu jōgi

rybalingХранительНу что ,друзья ? На Рею «Фильми Лыпп» ? ))
С утра вимба поклевала-поклевала, часиков до 8 ещё как то половилась. А потом зашла уклея и стала выносить мозг . Что на удочку, что на фидер.
С 9 до 11.40 ребята не взяли ни одной вимбы. Ждём информации с обеда и вечера.04.04.2023 в 12:52#39704Главная › Форумы › Вести с рыбалок › Рыбалка в Эстонии : Реки, озера, заливы и прочее. › Реки: › Рейу / Reiu jōgi › Рейу / Reiu jōgi

ValentinУчастникМаксим, а можно уточнить размер уклейки?
04.04.2023 в 14:38#39705Главная › Форумы › Вести с рыбалок › Рыбалка в Эстонии : Реки, озера, заливы и прочее. › Реки: › Рейу / Reiu jōgi › Рейу / Reiu jōgi

rybalingХранительС утра 12 лодок, сейчас ( на час дня ) одна осталась. У курятника тоже кисло.
Ребята с лодки сказали, что в эхолот вимбу видно, но уклеи столько, что датчик фонит. Другая рыба просто не успевает подойти к приманке. Хищника туда надо.))Размер уклейки, Валентин, «кошачья радость». Примерно 10, от силы 12см. Никаких селёдочных вариантов .
Подождём вечера.04.04.2023 в 17:03#39706Главная › Форумы › Вести с рыбалок › Рыбалка в Эстонии : Реки, озера, заливы и прочее. › Реки: › Рейу / Reiu jōgi › Рейу / Reiu jōgi

AleksandrУчастникТоже там был. Приехали в 04.00. Народ уже присутствовал. Нашли место, разложились. Начали с фидера. Вимбасик поклевывал, не сказать, что часто, но поклевывал. Потом перешли на удочку. Стало веселее. Много немерных. В прилове плотва, густера и окунь. Уклейка за все время только одна позарилась на опарика. В 13.30 закончили. Свои почти 20 литров поймал.
04.04.2023 в 17:05#39708Главная › Форумы › Вести с рыбалок › Рыбалка в Эстонии : Реки, озера, заливы и прочее. › Реки: › Рейу / Reiu jōgi › Рейу / Reiu jōgi

AleksandrУчастник
04.04.2023 в 17:06#39709Главная › Форумы › Вести с рыбалок › Рыбалка в Эстонии : Реки, озера, заливы и прочее. › Реки: › Рейу / Reiu jōgi › Рейу / Reiu jōgi

AleksandrУчастник
04.04.2023 в 18:38#39710Главная › Форумы › Вести с рыбалок › Рыбалка в Эстонии : Реки, озера, заливы и прочее. › Реки: › Рейу / Reiu jōgi › Рейу / Reiu jōgi
АнонимНеактивированныйВо нам с напарником повезло 02.04 23. Ни тебе уклеек, ни недомерков, на двоих отпустили может шт. 6, по сравнению с уловом, обще ничто, радовал крупный вимбас, как всё меняется, вот он момент.
04.04.2023 в 19:51#39715Главная › Форумы › Вести с рыбалок › Рыбалка в Эстонии : Реки, озера, заливы и прочее. › Реки: › Рейу / Reiu jōgi › Рейу / Reiu jōgi

rybalingХранительПовезло, Саш, тебе. Но река большая. Может до тебя СЕГОДНЯ уклея и не дошла.
Я думал, что мой знакомый после курятника вернётся вниз дожидаться вимбы, но он не стал испытывать судьбу и уехал на слияние Рею с Пярну. Так что инфы с ЕГО места в послеобеденное время у меня нет.05.04.2023 в 09:04#39726Главная › Форумы › Вести с рыбалок › Рыбалка в Эстонии : Реки, озера, заливы и прочее. › Реки: › Рейу / Reiu jōgi › Рейу / Reiu jōgi
ZerehУчастникНаконец таки и я вырвался на рыбалку. Ловил в субботу.Приехали, все места заняты. Димыч как раз собирался домой и мы встали на его место. Первый заброс и сразу неплохой лещ. Ну думаю раз первая рыба такая солидная ,то дальше как в примете, будет полная Ж. Она и наступила, только в обратном направлении.Такого клёва не видел давно.Сначала разложил фидер и пикерок, но потом успевал только на фидер.Темп ловли просто бешеный.Вимба, крупная густера, морская плотва как из пулемёта. Много сходов.Наверное с половину поклёвок или даже больше. Ловил на опарыша,на креветку и на кальмара. Кальмар работал лучше всего. Нарезал тоненькими полосочками и ловил.Поклёвок больше чем на креветку. Быстро наловил 25 литровое ведро, отдохнул от такого темпа и поехал домой.Ребята ловили на следующий день. Сказали,что тоже клевало, но хуже. Такое же ведро наловили за 6 часов.Уклейки не было. Спасибо речке!
06.04.2023 в 09:10#39746Главная › Форумы › Вести с рыбалок › Рыбалка в Эстонии : Реки, озера, заливы и прочее. › Реки: › Рейу / Reiu jōgi › Рейу / Reiu jōgi

rybalingХранительРею на момент 8.15.
Народу много. Полавливают вимбу, но без особого фанатизма. Проскакивает плотва, но не часто. У второго моста много мелочи.
Информацией поделился рыбак, который уже 40 минут ищет себе место, чтобы встать с удочкой. )
06.04.2023 в 19:48#39747Главная › Форумы › Вести с рыбалок › Рыбалка в Эстонии : Реки, озера, заливы и прочее. › Реки: › Рейу / Reiu jōgi › Рейу / Reiu jōgi

rybalingХранительЕсли сегодня с утра облететь на коптере устье Рею и с высоты птичьего полёта посмотреть на толпища рыбаков, то невольно возникает вопрос: а в Эстонии сегодня вообще хоть кто то работал?? )))
Потому что плотность стояния людей со снастями превышала все мыслимые и немыслимые понимания о рыбалке на реке. Ловили и стар, и мал, и кривой, и зрячий, и хромой, и о двух ногах, и новичок, и проффи, и наши южные соседи .)) ВСЕ там были.))
По утру очень многие мне «жаловались» на мелкую вимбу. В уловах её было В НЕСКОЛЬКО РАЗ больше, чем мерной. У кого то реально на одну положенную в садок приходилось 12-15 маломерков. Ближе к устью соотношение было не такое впечатляющее, но всё равно выпускалось вимбы в разы больше, чем забиралось.
После обеда картина стала меняться и крупняк ни то чтоб повалил, но скучать явно не давал. На момент 19.30 я обзвонил восьмерых рыбаков, кому посчастливилось встать на берегу ( я серьёзно. Многие плюнули на это дело и уехали на р. Пярну ): у четырёх человек было более 30 кг., у одного за сорок кг, у одного более 50 хвостов, но в кг он не знает, и двое просто затруднились ответить.
На удочку ловилось лучше, да и ощущения ни в какое с фидером не идут. Но встать с удочками тяжело. На фидер тоже клевало, но не так бойко . К тому же, очень много зависело от места.
На удивление и наши ребята переняли практику от южных соседей передавать места. Знаю как минимум троих, кто занял его с ночи. Днём в нашем магазине рыбаки отоваривались и ехали им на смену и сказали, что завтра к 11 будут эти же места «передавать» своим знакомым.
Ну вот как то так дела нынче на Рею.06.04.2023 в 20:35#39750Главная › Форумы › Вести с рыбалок › Рыбалка в Эстонии : Реки, озера, заливы и прочее. › Реки: › Рейу / Reiu jōgi › Рейу / Reiu jōgi

rybalingХранительФото прислал рыбак, который более полутора часов ( это пока я ему звонил. Может и 2, может и 3 часа ) искал место, чтобы встать с удочкой и половить в проводку.
07.04.2023 в 09:02#39756Главная › Форумы › Вести с рыбалок › Рыбалка в Эстонии : Реки, озера, заливы и прочее. › Реки: › Рейу / Reiu jōgi › Рейу / Reiu jōgi

rybalingХранительВитя Король в 8.47 рапортует с реки.
«Приехали в 4. Мест нет или почти нет. Пока нашли его, пока разложились — уже 5утра . Начaли ловить. Вернее, ПРОБОВАТЬ ловить….. Вот с этих пяти часов считай до девяти у меня аж целых две плотвицы. )))
У Игорька Нежадного две вимбы.
Стоим , облепленные со всех сторон , как кое что кое чем…. Народу — разве что за спины вторым рядом не становятся и с деревьев не ловят. А так — под каждым кустом.
У кого хорошие места, те понемногу полавливают. Но всё равно как то плоховато. Может когда пригреет?
Короче, пока у нас вот так, как на фото…..)))»
07.04.2023 в 09:28#39757Главная › Форумы › Вести с рыбалок › Рыбалка в Эстонии : Реки, озера, заливы и прочее. › Реки: › Рейу / Reiu jōgi › Рейу / Reiu jōgi

rybalingХранительГоспода рыбаки! Не кидайтесь на рыбалке яблоками!! Им всё равно негде будет упасть.))))
07.04.2023 в 13:51#39758Главная › Форумы › Вести с рыбалок › Рыбалка в Эстонии : Реки, озера, заливы и прочее. › Реки: › Рейу / Reiu jōgi › Рейу / Reiu jōgi

ValentinУчастник
Сейчас на Рею. Лодок поубавилось, народу на берегу местами тоже. Рыба клюет, очень много немерной, одна из 10 в размер. Плотвы очень мало.
07.04.2023 в 18:08#39768Главная › Форумы › Вести с рыбалок › Рыбалка в Эстонии : Реки, озера, заливы и прочее. › Реки: › Рейу / Reiu jōgi › Рейу / Reiu jōgi
ryzyiУчастникНу это совсем жесть :)
08.04.2023 в 08:22#39779Главная › Форумы › Вести с рыбалок › Рыбалка в Эстонии : Реки, озера, заливы и прочее. › Реки: › Рейу / Reiu jōgi › Рейу / Reiu jōgi

JuliaУчастникВсем привет, выдалось время повимбасить, приехала в Vobler,затарилась мармышками , которых присоветовать Максим, опариком цветным, креветкой, кальмаром, ну конечно прикормку свою намудрила и ещё кое что секретное 😁.На реку приехали около 5и утра, народу битком , но кто ищет тот найдёт. Обзор по первому часу показал, что вимба хочет короткий поводок, кислотного цвета мартышку, криветку. Соседи ловили на убийцу карася с несколькими крючками, дуплеты влетали только так, рядом мужик ловил на джонку с поводками по 10 см и мармышки кислотные+креветка. В 10 утра оборвала последнюю мормышку под криветку, и перешла на такую же только маленькую, подсаживала 3-4 опарика цветных, вимба ловилась на каждом забросе.На моё закормлено место накинулись попловочники и стали обкидывать меня со всех сторон, пока , я не оборвала последнюю снасть.В 12 поехали домой, хотя клевало активно.
😉😉😉08.04.2023 в 08:33#39780Главная › Форумы › Вести с рыбалок › Рыбалка в Эстонии : Реки, озера, заливы и прочее. › Реки: › Рейу / Reiu jōgi › Рейу / Reiu jōgi

JuliaУчастникМаксиму больше спасибо за мормышки,уловом остались довольны
08.04.2023 в 09:41#39781Главная › Форумы › Вести с рыбалок › Рыбалка в Эстонии : Реки, озера, заливы и прочее. › Реки: › Рейу / Reiu jōgi › Рейу / Reiu jōgi
AndreyZУчастникЧо там творится, мама дорогая! Если массовый психоз может иметь положительный смысл, то это как раз тот случай. Синдром Рею. Грешен, поучаствовал. Опасаюсь рецидива.
09.04.2023 в 10:03#39798Главная › Форумы › Вести с рыбалок › Рыбалка в Эстонии : Реки, озера, заливы и прочее. › Реки: › Рейу / Reiu jōgi › Рейу / Reiu jōgi

JevgeniУчастникПобывал и я на речке. Вчера насчитал около 50-ти лодок, без счета на берегу рыбаков, но рыбы не было. Поймав на пару сковородок мы снялись и ушли домой. Но был в пятницу и вот что там произошло. На одном из сайтов я выставлял инфо, что в марте, мы закрывали лед в пярнусском заливе и наша машина , не доезжая 30км до Пярну-заглохла. Выручил молодой эстонец-дотащил на микрике нашу машину до Пярну и даже денег не взял. Честь ему и хвала! Но в мире, на каждое добро и свое зло найдется. В общем …дело было так…
В пятницу, поехали с приятелем на речку. Поймав свою норму в обед решили уехать. Когда прошли мост и вышли в устье-там, прямо по центру стояло 5 или 6 лодок. Хотел было пройти сквозь строй…,но нарастающее ворчание экипажей заставило меня чуть изменить курс и пройти между лодками и берегом. На берегу плечо к плечу сидели доночники..Я шел на самой малой скорости примерно метров 25 от берега. Вдруг груз со свистом ударил в борт лодки..На речке Рейу, это обычное дело. Но на речке Пярну- это совсем другое. Раздолся дикий крик…Напарник говорит-смотри мужик по берег бежит за нами…Да еще с ножом.
Стал причаливать к берегу. Мужик, местный абориген, подскочил к лодке с воплями…типа..Держите меня семеро, всех порешу, и лодку порежу.. Приятель стал его успокаивать, говорю не надо…совсем озвереет.
А подбежавшему к лодке , достав смартофон и приготовившись включить видеозапись, обращаюсь- режь!
Лодка дорогая, уже послужила и хочется новую..Режь, не стесняйся. Мужик спрятал нож за спину и бормоча ругательства пошел к своим фидерам. Удивительно-снасти я ему не оборвал, просто проехал над местом лова…Прекрасный день , а вот эта разборка , все свела на нет. Мы же приезжаем на рыбалку не поспорить или подраться, а отдохнуть.Если кому крови надо- вон война идет полным ходом, туда и отправляйтесь. Да, еще на парковке, возме слипа у мусорника просто все загажено отходами. Большой мусорник похоронен под ними. Это происходит каждую весну. Городские власти, так же могли бы в эти дни увеличить частоту подмены мусорного контейнера. Да и мы, рыбаки , можем свой мусор собрать в пакет и забрать с собой.
09.04.2023 в 10:31#39799Главная › Форумы › Вести с рыбалок › Рыбалка в Эстонии : Реки, озера, заливы и прочее. › Реки: › Рейу / Reiu jōgi › Рейу / Reiu jōgi
AndreyZУчастникЯ и говорю — психоз.
09.04.2023 в 10:32#39800Главная › Форумы › Вести с рыбалок › Рыбалка в Эстонии : Реки, озера, заливы и прочее. › Реки: › Рейу / Reiu jōgi › Рейу / Reiu jōgi

borodaУчастникА мы, для участия в этой массовке, придумали козырную отмазку…

Друг приобрёл катер. Наступила весна. И только чудо могло в эти длинные выхи отменить спуск нового плавсредства на воду. Но, по указанной выше причине, начали мы с р. Пярну (слово Рею резало слух…). Покатались от рижского моста до … упора. Это далеко за Рею.
Но эхолот ничего нам не показал. Не принесла успеха и пробная рыбалка в самой реке Пярну. И — в Рею! Но, похоже, там уже в какой — то мере к двум часам дня произошла «пересменка» и народу было не так уж и много. Правда не ведомо мне, что там творилось в «час пик»?

И не видно было, чтобы все подряд рыбку вылавливали. Мы тоже не сразу нашли свою «точку». А потом дело пошло и за 4 часа я нарыбачил 33 вимбы и десяток мерных плоток. Вимба не крупная (средний вес 350 гр), но и маломерок было не много. Для меня этот размерчик очень удобен для сушки.
Как и в прошлый год домой уехали с «рыбы» где-то после шести вечера. А она брала и брала. Не скрою. Трудно было «выключить хаповило» и сложить болонку. Но мы это сделали. Впереди ещё будет не одна рыбалка!

п.с. а до этого за день рыбачил фидером на р. Пярну. В активе 3 лещика и 3 десятка местной плотвы, из них 2 десятка крупной. До 350 гр.

Всем НХНЧ.
09.04.2023 в 12:18#39806Главная › Форумы › Вести с рыбалок › Рыбалка в Эстонии : Реки, озера, заливы и прочее. › Реки: › Рейу / Reiu jōgi › Рейу / Reiu jōgi
АнонимНеактивированныйУважения нету, одни лодочники прут не сбавляя скорости, вызывая «ненависть», другие притормаживают, вызывая к ним уважение, одни рыбаки могли бы и под убрать снасти, лодочникам нужно же как то пройти, другие мстительно в «морду» бросают донки. Я вот подумал, это ведь твориться многие годы, ? , люди , что не умнеют, а становятся более агрессивными с годами, или за кусок рыбы, уже будут рвать друг друга. Тогда как сказано выше, на войну, там вправят мозги, и научат понимать друг друга.
11.04.2023 в 09:46#39831Главная › Форумы › Вести с рыбалок › Рыбалка в Эстонии : Реки, озера, заливы и прочее. › Реки: › Рейу / Reiu jōgi › Рейу / Reiu jōgi
SergeiУчастникДобрый день форумчане! Поделюсь своей информацией за вчерашний день. Был на реке с 6 утра, как не странно утренний клев не радовал, а если и клевало то плотва около 100-120 гр, к обеду немного наладились дела, стала поклевывает более менее мерная вимба, но процентное соотношение где-то 80% топил! Итог 11 вимб и около 3 кг плотвы все на опарыша! Всем нхч
19.04.2023 в 10:17#39999Главная › Форумы › Вести с рыбалок › Рыбалка в Эстонии : Реки, озера, заливы и прочее. › Реки: › Рейу / Reiu jōgi › Рейу / Reiu jōgi

AleksandrУчастникВчера на предмет проверки плотвы посетили Рейу у подвесного моста. Ну что сказать, плотва в основном мелкая, проскакивают и неплохие экземпляры, но редко. Приходится сортировать. 1 в ведро 5-6 обратно.
19.04.2023 в 10:18#40000Главная › Форумы › Вести с рыбалок › Рыбалка в Эстонии : Реки, озера, заливы и прочее. › Реки: › Рейу / Reiu jōgi › Рейу / Reiu jōgi

AleksandrУчастник
19.04.2023 в 10:18#40001Главная › Форумы › Вести с рыбалок › Рыбалка в Эстонии : Реки, озера, заливы и прочее. › Реки: › Рейу / Reiu jōgi › Рейу / Reiu jōgi

AleksandrУчастник
19.04.2023 в 10:19#40002Главная › Форумы › Вести с рыбалок › Рыбалка в Эстонии : Реки, озера, заливы и прочее. › Реки: › Рейу / Reiu jōgi › Рейу / Reiu jōgi

AleksandrУчастник
29.04.2023 в 14:40#40140Главная › Форумы › Вести с рыбалок › Рыбалка в Эстонии : Реки, озера, заливы и прочее. › Реки: › Рейу / Reiu jōgi › Рейу / Reiu jōgi

rybalingХранительЧас дня, а Артур уже дома. С рыбалки приехал…… Ругается. ))
Говорит, БОЛЬШЕ на рыбалку ЗА ПЛОТВОЙ в этом сезоне не поедет.
Что в прошлый раз была мелкая, что в этот раз вообще не клевала.


ОСОБЕННО плотва не клевала с семи до 11-ти.))
https://www.youtube.com/shorts/FT0nwRMPyTI
29.04.2023 в 14:41#40141Главная › Форумы › Вести с рыбалок › Рыбалка в Эстонии : Реки, озера, заливы и прочее. › Реки: › Рейу / Reiu jōgi › Рейу / Reiu jōgi

rybalingХранительНастя тоже «ничего не поймала». ))
12.05.2023 в 11:06#40291Главная › Форумы › Вести с рыбалок › Рыбалка в Эстонии : Реки, озера, заливы и прочее. › Реки: › Рейу / Reiu jōgi › Рейу / Reiu jōgi

rybalingХранительВчера на Рею. Мамки все с икрой
28 кг.

Пока был шитик, клевало на каждом забросе. Шит кончился— и клев как корова языком слизала
12.05.2023 в 11:08#40292Главная › Форумы › Вести с рыбалок › Рыбалка в Эстонии : Реки, озера, заливы и прочее. › Реки: › Рейу / Reiu jōgi › Рейу / Reiu jōgi

rybalingХранительВ «прилове» три щучки-полторашки.
12.05.2023 в 15:28#40294Главная › Форумы › Вести с рыбалок › Рыбалка в Эстонии : Реки, озера, заливы и прочее. › Реки: › Рейу / Reiu jōgi › Рейу / Reiu jōgi
ryzyiУчастникRöövpüdja detected :):):)
- АвторСообщения
- Для ответа в этой теме необходимо авторизоваться.
