Главная › Форумы › Вести с рыбалок › Рыбалка в Эстонии : Реки, озера, заливы и прочее. › Реки: › Рейу / Reiu jōgi
- В этой теме 322 ответа, 56 участников, последнее обновление 5 месяцев, 2 недели назад сделано
rybaling.
- АвторСообщения
- 13.05.2023 в 01:27#40296
Главная › Форумы › Вести с рыбалок › Рыбалка в Эстонии : Реки, озера, заливы и прочее. › Реки: › Рейу / Reiu jōgi › Рейу / Reiu jōgi

VeberУчастникТоже вижу пару вимб.
07.03.2024 в 19:58#42947Главная › Форумы › Вести с рыбалок › Рыбалка в Эстонии : Реки, озера, заливы и прочее. › Реки: › Рейу / Reiu jōgi › Рейу / Reiu jōgi

MarioУчастникРека уже 2 или 3 дня открыта.
10.03.2024 в 18:58#42977Главная › Форумы › Вести с рыбалок › Рыбалка в Эстонии : Реки, озера, заливы и прочее. › Реки: › Рейу / Reiu jōgi › Рейу / Reiu jōgi

rybalingХранительМарио, как говорят в Одессе, я дико извиняюсь, но…. Откуда у вас ЭТА информация??
У меня другая
Рею сегодня. Фото с моста.

Игорю F. Гранд мерси за «правку» !
16.03.2024 в 12:26#43036Главная › Форумы › Вести с рыбалок › Рыбалка в Эстонии : Реки, озера, заливы и прочее. › Реки: › Рейу / Reiu jōgi › Рейу / Reiu jōgi

rybalingХранительНу оооочень…, просто ОЧЕНЬ интересная информация у меня появилась. ))))
…….16.03.2024 в 15:44#43044Главная › Форумы › Вести с рыбалок › Рыбалка в Эстонии : Реки, озера, заливы и прочее. › Реки: › Рейу / Reiu jōgi › Рейу / Reiu jōgi
VladimirУчастника что за инфо поделись пожалуйста
16.03.2024 в 16:11#43045Главная › Форумы › Вести с рыбалок › Рыбалка в Эстонии : Реки, озера, заливы и прочее. › Реки: › Рейу / Reiu jōgi › Рейу / Reiu jōgi

rybalingХранительУже НЕСКОЛЬКО ЧАСОВ как поделился. Смотрите Форум ВНИМАТЕЛЬНЕЕ !
( Фото и видео выставлю около 17 — ти по местному времени. На сайте это будет 18, так как отражено зимнее время ).
16.03.2024 в 18:39#43050Главная › Форумы › Вести с рыбалок › Рыбалка в Эстонии : Реки, озера, заливы и прочее. › Реки: › Рейу / Reiu jōgi › Рейу / Reiu jōgi

rybalingХранительБорис писАл:
Поплавок поплавок. А тут кормушка сотка.)))
Борь, на поплавочку тоже пробовали. ЧТО из этого получилось, я уже озвучил. )
Вся имевшаяся у меня информация по ловле на реке Рею уже давно на сайте. Форум — не не шестидесяти четырёх страничная газета. УМЕЙТЕ найти нужную для вас инфу.
Заодно почитайте мой пост 43038 ( сегодня, 13.03 ) и сделайте выводы. ))16.03.2024 в 18:47#43052Главная › Форумы › Вести с рыбалок › Рыбалка в Эстонии : Реки, озера, заливы и прочее. › Реки: › Рейу / Reiu jōgi › Рейу / Reiu jōgi

BorisУчастниксегодня, 13.03 )
Сегодня 16. 03 На всякий случай.
16.03.2024 в 19:17#43053Главная › Форумы › Вести с рыбалок › Рыбалка в Эстонии : Реки, озера, заливы и прочее. › Реки: › Рейу / Reiu jōgi › Рейу / Reiu jōgi

ValentinУчастникБорис
13.03 это не дата. Это время поста, и номер 43038
Тема — «Награждения форумчан и «Группы поддержки»» страница 416.03.2024 в 19:29#43054Главная › Форумы › Вести с рыбалок › Рыбалка в Эстонии : Реки, озера, заливы и прочее. › Реки: › Рейу / Reiu jōgi › Рейу / Reiu jōgi

BorisУчастникуух ты. как это я попутал.
20.03.2024 в 11:34#43109Главная › Форумы › Вести с рыбалок › Рыбалка в Эстонии : Реки, озера, заливы и прочее. › Реки: › Рейу / Reiu jōgi › Рейу / Reiu jōgi

rybalingХранительОказывается в конкурсе «Будь Первым !» самое трудное— это не поймать мерную вимбу, а вспомнить число.))))
Смотрите видео от Двух
КапитаАлександров. ))20.03.2024 в 15:04#43114Главная › Форумы › Вести с рыбалок › Рыбалка в Эстонии : Реки, озера, заливы и прочее. › Реки: › Рейу / Reiu jōgi › Рейу / Reiu jōgi

rybalingХранительИнф»А» ОНЛАЙН !
Не скажу, что клёв прямо бешенный…. Да, поклёвывает. Не очень активно, но ловится. Но самОй рыбы в реке столько, что она зачастую багрится.
Ловится И на фидер, И на удочку. Но на поплавочку чуть хуже. И если на фидер у одного Александра «разнорыбь» ( вимба, плотва, густера, елец ), то у другого Саши на удочку лишь 2 зачётных вимбы ( много немерной ), две плотвицы, а остальное крупная густера.
Улов одного из Александров на час дня. Уже смело можно ехать домой.)
20.03.2024 в 18:43#43119Главная › Форумы › Вести с рыбалок › Рыбалка в Эстонии : Реки, озера, заливы и прочее. › Реки: › Рейу / Reiu jōgi › Рейу / Reiu jōgi
АлександрУчастникВсем доброго вечера!
Как уже выше Максим написал, я с напарником порыбачил на Рею. Приехали около 9ти утра, рыбка отозвалась буквально сразу, в основном густера, через пару часов ловли размер укрупнился и периодически начала клевать вимба и плотва, хотя скорее всего сегодня был пйман весь ассортимент бели, густера, вимба, плотва, елец, мелкие язики, ловил в основном на бутер червь+опарыш. Рыбалкой оба довольны!
Здесь видосик для «Будь Первый!»
21.03.2024 в 07:01#43121Главная › Форумы › Вести с рыбалок › Рыбалка в Эстонии : Реки, озера, заливы и прочее. › Реки: › Рейу / Reiu jōgi › Рейу / Reiu jōgi

AleksandrУчастникНу и ещё пару фоток.
21.03.2024 в 07:02#43122Главная › Форумы › Вести с рыбалок › Рыбалка в Эстонии : Реки, озера, заливы и прочее. › Реки: › Рейу / Reiu jōgi › Рейу / Reiu jōgi

AleksandrУчастник
21.03.2024 в 07:03#43123Главная › Форумы › Вести с рыбалок › Рыбалка в Эстонии : Реки, озера, заливы и прочее. › Реки: › Рейу / Reiu jōgi › Рейу / Reiu jōgi

AleksandrУчастник
21.03.2024 в 18:27#43133Главная › Форумы › Вести с рыбалок › Рыбалка в Эстонии : Реки, озера, заливы и прочее. › Реки: › Рейу / Reiu jōgi › Рейу / Reiu jōgi

rybalingХранительВот и начинаются РАЗНОУЛОВИСТЫЕ рыбалки с одних и тех же мест. Один вчера звонит, спрашивает меня: где ты там вимбу нашёл? Я сам сейчас на речке, одна густера ловится. Другой сегодня с утра половил пару часиков и уехал. Говорит, вимбы много, но ВСЯ немерная. Третий мне за вчерашний день фото присылает. И по его словам, НИ ОДНОЙ немерной вимбы у них не было.

Ну где , действительно, здесь вимба?? Ну нет(У), нет(У) её там !! )))
Разумеется, это улов не одного человека. Так что что с точки зрения законов и норм там всё в порядке.
Спрашиваю его, ВСЕ на реке ТАК ловили?? В ответ он смеётся. Говорит, трое рядом стояли, и половины нашего улова нет. В 19 метрах от нас. Хоть подошли бы , спросили: что, как, на что, какой монтаж? Нееее…. Фигачат без клипсы кто куда горазд и по телефону рассказывают своим друзьям- приятелям, что сегодня вимбы нет.
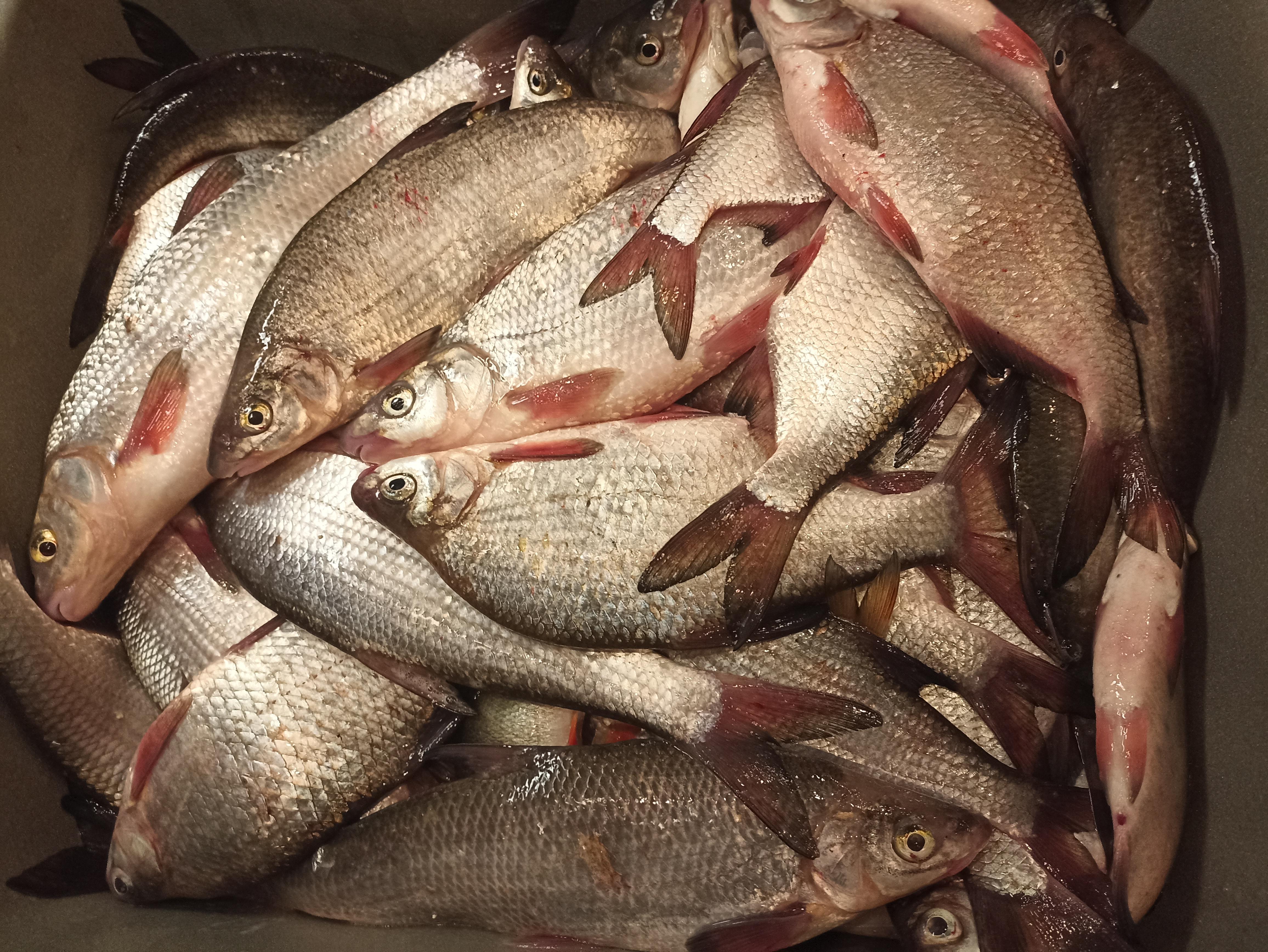
Это У НИХ нет. )) А в реке её столько, что каждая 4-5 багрится…….21.03.2024 в 21:18#43138Главная › Форумы › Вести с рыбалок › Рыбалка в Эстонии : Реки, озера, заливы и прочее. › Реки: › Рейу / Reiu jōgi › Рейу / Reiu jōgi
АлександрУчастникПодтверждаю про багрение, у самого вчера 6 рыб забагренно, 3 из них вимба! За глаз, за хвост и еще за между брюшиными плавниками, причем это не при подсечке, а видно как будто поклевка (на фидере). Как то так.
22.03.2024 в 20:34#43149Главная › Форумы › Вести с рыбалок › Рыбалка в Эстонии : Реки, озера, заливы и прочее. › Реки: › Рейу / Reiu jōgi › Рейу / Reiu jōgi

rybalingХранительДва отчёта за вчера от разных рыбаков.
1.
«Был вчера на Рейу, ловил всего три часа. В улове 12 мерных вимб, 2 подлещика и 2 больших густеры. Ловил на опарыша. Подсаживаешь мотыля — вроде как побойчее клюёт. Но его у меня было мало. На поплавок у меня что то не пошло, так что всё поймал на фидер».2.
«Привет. Вчера открыл сезон по вимбе. Понятное дело, что поехал на Рейу. Норму 20 штук поймал часа за три, может чуть больше. Густера в прилове.Плотвы и ельца почти нет. У меня всего 3 или 4 хвоста. »Как видите, и уловы разные, и, судя по фото, места. Кстати, представитель Кесконнаамета Янус теперь не только замеряет рыбу, но и считает её. )


23.03.2024 в 17:47#43158Главная › Форумы › Вести с рыбалок › Рыбалка в Эстонии : Реки, озера, заливы и прочее. › Реки: › Рейу / Reiu jōgi › Рейу / Reiu jōgi

rybalingХранительОЧЕНЬ много знакомых сегодня посетили речку. И если в «мордогниге» один изгой нашего Форума позавчера жаловался на клев и на то, что у него не клюет (может руки не из….), и, типа, вся информация по вимбе на моем Форуме это фейк, то сегодня НИ ОДИН Рыбак не сказал мне, что клев плохой.
По вимбе закрылись все, кто этого хотел. Примерное время «закрытия» — — 3.5 — — 4 часа. Главное встать. (найти место). А рыбы много, и она клюет.
Два экипажа на лодках в устье Рейу-Пярну. Там и по беле плохо, а по судаку, так вообще ноль.
23.03.2024 в 23:36#43165Главная › Форумы › Вести с рыбалок › Рыбалка в Эстонии : Реки, озера, заливы и прочее. › Реки: › Рейу / Reiu jōgi › Рейу / Reiu jōgi

borodaУчастникВЕСНА, ЛЕТО И ОСЕНЬ — ДОСАДНОЕ НЕДОРАЗУМЕНИЕ МЕЖДУ ПОСЛЕДНИМ И ПЕРВЫМ ЛЬДОМ. БУРОМ КЛЯНУСЬ! ВЕК ЛУНКИ НЕ ВИДАТЬ!!!
Так говорил я, когда (как всегда) неожиданно запретили нам в лунку смотреть…
Но…сегодня первая весенняя фидерная рыбалка вновь подняла мне рыбацкое настроение! И позволила на аватарке сменить зимнюю форму одежды на весеннюю.
Сезон открыт. Ура-а-а-а-а-а-а!!!
По существу: река в берегах, фидерная течка под 45 — 50 гр. Но, что интересно, течение меняло силу и направление, порой немного несло траву.
Все, кто приехал (в отличии от открытия сезона в прошлом году) место для ловли нашли. Места были разные. От этого и от личного исполнительского мастерства и вырисовывался результат. Поэтому, (а на реке был десяток моих знакомых) уловы были разными.
По наживке сильной разницы я лично не заметил. Важно было всё выше сказанное.
Наша команда запаздала и лишилась выбора места. Поэтому дивиз мы был такой, а что остаётся делать…?:
НЕ МЕСТО КРАСИТ ЧЕЛОВЕКА, А ЧЕЛОВЕК КРАСИТ МЕСТО.
НОРМАлёк!
26.03.2024 в 11:45#43177Главная › Форумы › Вести с рыбалок › Рыбалка в Эстонии : Реки, озера, заливы и прочее. › Реки: › Рейу / Reiu jōgi › Рейу / Reiu jōgi

rybalingХранитель«Вести с полей» ))
То что они «с полей», нисколько не приукрашено, так как всё тамошнее побережье — одно снежное поле.
Рыба с утра капризничает ( информация на 10.20 ). И если густера ещё как то поклёвывает, то вимба осторожничает. Мелочь проскакивает намного чаще крупняка. Реально мерных вимб пока что единицы.Информацией поделился Владимир.
26.03.2024 в 15:26#43178Главная › Форумы › Вести с рыбалок › Рыбалка в Эстонии : Реки, озера, заливы и прочее. › Реки: › Рейу / Reiu jōgi › Рейу / Reiu jōgi

rybalingХранительВчера у ребят на фидер: 3 часа 40 минут, норму взяли.

А сегодня Валера Борода показывает там мастер класс на поплавочку. Он и вчера был. Но сегодня, приехав довольно поздно, на 13 часов дня обловил уже полберега. ))
Из интересного… Как я понял по Валериному рассказу, невдалеке присел один рыбак из наших южных соседей. Закормился немереным количеством шаров ( что то около 14-ти ) и давай «нервировать» местных рыбаков.)))
А вы говорите, что вимба по холодной воде на прикормку не отзывчива. ))26.03.2024 в 22:30#43182Главная › Форумы › Вести с рыбалок › Рыбалка в Эстонии : Реки, озера, заливы и прочее. › Реки: › Рейу / Reiu jōgi › Рейу / Reiu jōgi

borodaУчастникВсем привет!
На той неделе наслаждался ловлей на фидер.
КЛАСС! Масса удовольствия (повествование было выше).
А сейчас два дня тренировал болонку, не собаку, это удочка так называется… :)… Вимбасика и крупную густеру вываживать весьма приятно (скоро дело и до маха дойдёт). Обе рыбалки были как под копирку.
В зоне поражения удочки оказались: по 20 вимб (не крупные), по 3 крупных плотки (около 300 гр),
Пяток средних икряных, а остальное — густера от 150 до 350 гр. Откровенной мелочи этих пород чешуйчастых было достаточно мало. Всего за каждую рыбалку выловил примерно по пуду рыбы. Мерило рыбацкого тщеславия — садок, при попытке уложиться в 18-ти литровое ведро никак не хотел в нём помещаться.
По наживке предпочтения не заметил, важнее было всё остальное.
Ну…, клевало! Погода — класс! Замечено, что ловили далеко не все. Т.е. настоящего хода рыбы пока нет. Холодно, однако.
п.с. особое удовольствие от того, что все 3 раза удалось чётко поставить рыбу на точку. Правильная прикормка и её подача исправно делали своё дело. Поклёвки почти при каждом забросе.
И от этого улыбка рожу рвёт.
Всем добра и НХНЧ.
28.03.2024 в 09:13#43194Главная › Форумы › Вести с рыбалок › Рыбалка в Эстонии : Реки, озера, заливы и прочее. › Реки: › Рейу / Reiu jōgi › Рейу / Reiu jōgi

rybalingХранительСегодня в 8 утра.
28.03.2024 в 14:20#43200Главная › Форумы › Вести с рыбалок › Рыбалка в Эстонии : Реки, озера, заливы и прочее. › Реки: › Рейу / Reiu jōgi › Рейу / Reiu jōgi
malekУчастникБыл вчера и сегодня, ловил с 5 до 9 вечером и с 5 до 9 утром ловил только на опарика. Клев средний, ночью тоже клевало по рассказу проходящего утром мимо рыбака. Рыба есть,даже багрится на крючок нр. 12. С кем разговаривал у всех поймано от 15 штук до нормы
28.03.2024 в 15:29#43202Главная › Форумы › Вести с рыбалок › Рыбалка в Эстонии : Реки, озера, заливы и прочее. › Реки: › Рейу / Reiu jōgi › Рейу / Reiu jōgi

rybalingХранительУтренне-дневное видео с реки от Потапыча. «Клюёт всё подряд» )) —( Цитата из Мишиного видео ).
https://www.youtube.com/shorts/tyn_6-DUZAE
28.03.2024 в 19:38#43205Главная › Форумы › Вести с рыбалок › Рыбалка в Эстонии : Реки, озера, заливы и прочее. › Реки: › Рейу / Reiu jōgi › Рейу / Reiu jōgi

rybalingХранительВ первую половину дня правее того места, откуда велась съёмка, какие то нерадивые рыбаки решили поиграть со спичками. Ну , и из всего этого получился «Кошкин Дом». )
Тушить пожар приехали несколько бригад . Очевидцы рассказывают о пяти пожарных машинах.
Для чего ВСЁ ЭТО вам говорю??? Дело в том, что местные власти могут просто на просто закрыть подход к берегу. Ну, или, если это им сложно будет сделать, натыкать на всех дорогах и парковках знаки «Остановка ( стоянка) запрещена». И что мы тогда будем делать??
Так что, друзья, давайте не будем играть в поджигателей травы, а курящим рыбакам предлагаю носить с собой «карманные» пепельницы ( Лично ни раз делал видео с лодки. Ни одни окурок не идёт за борт!! Всё в баночку из под жвачки)))).28.03.2024 в 20:27#43206Главная › Форумы › Вести с рыбалок › Рыбалка в Эстонии : Реки, озера, заливы и прочее. › Реки: › Рейу / Reiu jōgi › Рейу / Reiu jōgi

rybalingХранительДоигрались…..
https://www.youtube.com/shorts/CNqqUTjvnhE
Заметьте, мысль о том, что могут закрыть берег, посетила ни только меня.
28.03.2024 в 20:42#43207Главная › Форумы › Вести с рыбалок › Рыбалка в Эстонии : Реки, озера, заливы и прочее. › Реки: › Рейу / Reiu jōgi › Рейу / Reiu jōgi
AndreyZУчастникНе могу не согласиться с Максом. Ждите репрессий, господа рыболовы. Репрессий в виде шлагбаумов и разных прочих заборов. И ведь никто не виноват! Просто хотели пожарить колбасок. Чо такова?
28.03.2024 в 20:47#43208Главная › Форумы › Вести с рыбалок › Рыбалка в Эстонии : Реки, озера, заливы и прочее. › Реки: › Рейу / Reiu jōgi › Рейу / Reiu jōgi
fotikУчастникТагже может зделать это солце,природное явление
28.03.2024 в 21:45#43211Главная › Форумы › Вести с рыбалок › Рыбалка в Эстонии : Реки, озера, заливы и прочее. › Реки: › Рейу / Reiu jōgi › Рейу / Reiu jōgi

borodaУчастникВсем привет.
В 4.45 на реке фонарики освещали примерно 70 % реки.
Но рыбка, однако, ловилась. И законный дватцатник я уже засолил, а вдобавок пяток густероидов и десятка два икряной плотвы. Заметил, что плотвы стало больше, чем пару дней зазад. Не крупной, но и не мелкой. Оно конечно, ловить плотку на донку, пусть и английскую — дело и удовольствие …так себе …
А потом аж земля стала гореть под ногами рыбаков.
У меня в прикормке от этого дыма аж пинка чихать начала! А во свём, как известно, виноват Максуд! Это он мне такую нерадивую пинку подсунул!!!

29.03.2024 в 11:20#43214Главная › Форумы › Вести с рыбалок › Рыбалка в Эстонии : Реки, озера, заливы и прочее. › Реки: › Рейу / Reiu jōgi › Рейу / Reiu jōgi

pol71Участник



29.03.2024 в 11:32#43215Главная › Форумы › Вести с рыбалок › Рыбалка в Эстонии : Реки, озера, заливы и прочее. › Реки: › Рейу / Reiu jōgi › Рейу / Reiu jōgi

pol71Участник
29.03.2024 в 11:35#43216Главная › Форумы › Вести с рыбалок › Рыбалка в Эстонии : Реки, озера, заливы и прочее. › Реки: › Рейу / Reiu jōgi › Рейу / Reiu jōgi

pol71УчастникБыли мы вчера с Валерой Бородой на Рейу. Ловили на фидер. Приехали в 4:45, и на стоянке уже была куча машин и народ сидел с фонарями на реке. Место нашли конечно, но все хорошие места были уже заняты. Вимба брала на всё, опарыш, червь, креветками. В прилове плотва, густера, елец. Но размер вимбы только только в норму… 30-31см. Крупных не было. Норму оба взяли. Клевало весь день, хорошо. Народу очень много по обоим берегам и плюс лодки. Насмотрелись всего…. Кто то открыл купальный сезон и кувырнулся с берега в воду… Кто-то поджёг траву и мне пришлось вызывать пожарных… выгорело всё поле и огонь дошёл до нас, потушили его пожарные в трёх метрах от меня уже…. Но настоящие бородатые рыбаки с форума Рыбалинг в воде не тонут и в огне не горят, и мы продолжили рыбалку….
29.03.2024 в 16:20#43221Главная › Форумы › Вести с рыбалок › Рыбалка в Эстонии : Реки, озера, заливы и прочее. › Реки: › Рейу / Reiu jōgi › Рейу / Reiu jōgi
АлександрУчастникВсем привет! Вчера совершили небольшой рыболовный тур, сначало приехали в район Румба, пару часиков там посидели, но поймали только местную плотку, вообщем рановато, поскольку впереди куча времени оставалось, решили поехать на Рею, благо от того места где были ехать около часа, так что рванули туда. Конечно опасались, что не найдем места, но по приезду все обошлось, нашли сразу, в примерно 11.30-12.00 начали ловить. Ловили на 2 фидера, я сначало использовал поводок прим. 1м и красно-белая мормышка но как оказалось процессе, поводок укоротил до 80см и поставил 10ый крючок, клевало лучше на чистого опарыша шт 6-7. В итоге вышло 33шт все в размер от 32 до 42см, ловили до 16.30




Всем НхНч!!!
29.03.2024 в 18:53#43224Главная › Форумы › Вести с рыбалок › Рыбалка в Эстонии : Реки, озера, заливы и прочее. › Реки: › Рейу / Reiu jōgi › Рейу / Reiu jōgi

rybalingХранительСтранные дела творятся, братцы…. То ли вчерашний пожар так всех напугал, то ли рыбаки испугались погоды ( хотя КОГО этой погодой напугаешь?? ))) ), но сегодня утром ( РАННИМ утром ) на речке не было ни кого !! ( А ещё говорят, что на берегу встать невозможно…. СПАТЬ НАДО МЕНЬШЕ !! ))).
Я бы и сам этому не поверил, но сегодня в шесть часов утра мне прислали видео с реки. Может они снимали раньше шести, но видно же, что уже светло и спокойно можно ловить !! А рыбаков в округЕ нет….https://www.youtube.com/shorts/fNpSRFMq-So
29.03.2024 в 19:09#43226Главная › Форумы › Вести с рыбалок › Рыбалка в Эстонии : Реки, озера, заливы и прочее. › Реки: › Рейу / Reiu jōgi › Рейу / Reiu jōgi

rybalingХранительИ судя по небольшому повествованию, ребята ловили и ночью ( или ночью приехали, или накануне с вечера встали на место ), но клёва не было.

За всё тёмное время и до утра поймали одну плотвицу. Заглотила ( на фото можно видеть ) по самое «не балуй», но сигнализатор поклёвки даже ни разу не пискнул.
29.03.2024 в 19:27#43227Главная › Форумы › Вести с рыбалок › Рыбалка в Эстонии : Реки, озера, заливы и прочее. › Реки: › Рейу / Reiu jōgi › Рейу / Reiu jōgi

ValentinУчастникПлотва — та, что выше на фото, ну очень сильно косит под голавля
А рыбаков нет потому, что рыба не клюет. У меня вчера два человека с лодки за весь день на двоих (!) поймали 3 мерных вимбы. Правда на поплавок.29.03.2024 в 20:14#43231Главная › Форумы › Вести с рыбалок › Рыбалка в Эстонии : Реки, озера, заливы и прочее. › Реки: › Рейу / Reiu jōgi › Рейу / Reiu jōgi

rybalingХранительВалентин, по поводу «закоса» я соглашусь с тобой )). Но ракурс не самый лучший. Плавники — да, красные, но рыба настолько «чумазая», а рот раскрыт так широко, что достоверно определить тяжело ( тем более с телефона. Рыбу то я увидел в шесть утра, а закачал на комп только сейчас. Так что, извиняйте, дрУги. ))))
29.03.2024 в 20:44#43232Главная › Форумы › Вести с рыбалок › Рыбалка в Эстонии : Реки, озера, заливы и прочее. › Реки: › Рейу / Reiu jōgi › Рейу / Reiu jōgi
ВикторУчастникБыл сегодня на рейю. Готовился к этой рыбалке основательно, хотел половить вимбу на фидер, а посему налепил на работе самодельных кормушек( ну вот захотелось мне 😁) и ждал сегодняшний день. Вот сие чудо))

Приехал на место где-то к семи, а машинами было уже все настолько забито, что были мысли переехать куда-нибудь на пярну речку 🙄
(Скриншот из снапчата, не обессудьте)Но все же решил рискнуть, взял вещи и пошёл к реке. Нарооду тьма. На жжёном берегу негде встать( а я только на нём и ловил всегда).. Но ладно, на берегу бурелома вроде были места, так что пошёл изведывать их. Поскольку мест там тоже было не много, встал на первое свободное. А оно там такое, что сверху ветки, сбоку кусты и ветки и ловить мягко говоря не комильфо))
Но приноровиться можно, если осторожно) Что собственно я и сделал. С большими надеждами закинул два фидера где-то в 7:30 и сразу что-то стало поклёвывать, поймал плотвину и все. Дальше за два часа поймал пяток плотвин, несколько густерок и вимбу на 29см. А сбоку от меня ребята нет-нет, да полавливали на удочку и окончательно убедили меня попробовать тоже 😁
Пока нашел нужную дистанцию, глубину, закормился и к 10 дело пошло как надо)) Вытащил два фидера и стал ловить на одну поплавочную удочку. Забросил-вытащил, примерно так) Преимущественно была плотва, причём откровенной мелочи не было, вся средне-крупная или очень крупная)
Иногда проскакивала вимба, всего размерных взял около десяти штук(32-37см) и пяток неразмер отпустил. А поскольку в этот раз мне знакомый заказал рыбки ему привезти, то в два стал собираться. Весы блин забыл в этот раз, но на вскидку кг 10-15 есть точно. Рыбалка получилась не как планировал, на самодельные кормушки не половил и норму по вимбе не взял, но рыбалкой все равно доволен) Ну и немного фоточек)


И это уже на обратном пути
30.03.2024 в 17:27#43243Главная › Форумы › Вести с рыбалок › Рыбалка в Эстонии : Реки, озера, заливы и прочее. › Реки: › Рейу / Reiu jōgi › Рейу / Reiu jōgi
ШурикУчастникБыл сегодня на Рейу.Клевало хуже чем вчера.Итог16 вимб и больше ничего
30.03.2024 в 17:29#43244Главная › Форумы › Вести с рыбалок › Рыбалка в Эстонии : Реки, озера, заливы и прочее. › Реки: › Рейу / Reiu jōgi › Рейу / Reiu jōgi
30.03.2024 в 17:31#43245Главная › Форумы › Вести с рыбалок › Рыбалка в Эстонии : Реки, озера, заливы и прочее. › Реки: › Рейу / Reiu jōgi › Рейу / Reiu jōgi
31.03.2024 в 16:48#43262Главная › Форумы › Вести с рыбалок › Рыбалка в Эстонии : Реки, озера, заливы и прочее. › Реки: › Рейу / Reiu jōgi › Рейу / Reiu jōgi
AndreyZУчастникЯ тоже там побывал. В пятницу на реке оказался около 15.30. Ловил с лодки,хорошо клевало. После 19 начало смеркаться и я ушёл на берег. За время рыбалки легко взял норму по вимбе,рыбу фильтровал,выбирал покрупнее,мелкую топил. Попутно и густеры с плотвой накивал,густеры больше.
В субботу продолжил с утра,но клёв ощутимо похужел. Рыбка шла волнами, поймаешь несколько подряд ,потом посидишь,покуришь. Тем не менее наловил больше нормы,лишнюю товарищу отдал,плотва и густёрка тоже в садок.
Лучше всего проявил себя опарыш. Периодическая подсадка червя видимых улучшений не показала. Всем НХНЧ !
31.03.2024 в 19:26#43265Главная › Форумы › Вести с рыбалок › Рыбалка в Эстонии : Реки, озера, заливы и прочее. › Реки: › Рейу / Reiu jōgi › Рейу / Reiu jōgi
AndreyZУчастникСовсем забыл. Когда в субботу собирал лодку, а слиповался я на Пярну-реке ,где теперь бетонные плиты, возле этого самого слипа, наверху, нашёл забытую кем-то очень нужную на рыбалке вещь. Намеренно не пишу. что это за вещь. Если забывший найдется и скажет, что это за вещь — отдам.
31.03.2024 в 21:42#43268Главная › Форумы › Вести с рыбалок › Рыбалка в Эстонии : Реки, озера, заливы и прочее. › Реки: › Рейу / Reiu jōgi › Рейу / Reiu jōgi

NAVIGATORУчастникВсем привет! Сегодня вимбы нет — есть лещ. Ловил с 11.00-15 , всё на червя
01.04.2024 в 20:59#43294Главная › Форумы › Вести с рыбалок › Рыбалка в Эстонии : Реки, озера, заливы и прочее. › Реки: › Рейу / Reiu jōgi › Рейу / Reiu jōgi
UkuУчастникРеиу празник кончилас?
01.04.2024 в 21:43#43295Главная › Форумы › Вести с рыбалок › Рыбалка в Эстонии : Реки, озера, заливы и прочее. › Реки: › Рейу / Reiu jōgi › Рейу / Reiu jōgi

rybalingХранительUku. Нет, праздник не кончился. ДА ЕГО И НЕ БЫЛО! Была только увертюра к празднику, а основные события ещё впереди.
02.04.2024 в 13:05#43300Главная › Форумы › Вести с рыбалок › Рыбалка в Эстонии : Реки, озера, заливы и прочее. › Реки: › Рейу / Reiu jōgi › Рейу / Reiu jōgi

vladimirУчастникМожет просветите как правильно понимать требование «не более 20 вимб».Допустим я приехал с ночёвкой, в 18.00. До 24.00. поймал 15 шт. А ночью и на следующий день поймал ещё 18 шт. А тут проверка. Как я смогу доказать что ловлю со вчерашнего дня. И вообще что значит «не более 20 шт.» Заранее спасибо за разъяснения.
- АвторСообщения
- Для ответа в этой теме необходимо авторизоваться.
