Главная › Форумы › Вести с рыбалок › Рыбалка в Эстонии : Реки, озера, заливы и прочее. › Реки: › Казари / Kasari jõgi
Помечено: Казари речка
- В этой теме 920 ответов, 101 участник, последнее обновление 15 часов, 41 минута назад сделано
vimbas.
- АвторСообщения
- 04.01.2025 в 03:59#45865
Главная › Форумы › Вести с рыбалок › Рыбалка в Эстонии : Реки, озера, заливы и прочее. › Реки: › Казари / Kasari jõgi › Казари / Kasari jõgi

rybalingХранительВода на площадке почти в берег ( значит в районе заповедника вообще в полях
Мусора много. Камыши, кочки, плывут небольшие отдельные острова. Иногда пропллывают бревна, сносяшие все на своём пути.
04.01.2025 в 04:06#45866Главная › Форумы › Вести с рыбалок › Рыбалка в Эстонии : Реки, озера, заливы и прочее. › Реки: › Казари / Kasari jõgi › Казари / Kasari jõgi

rybalingХранительПочти репортаж.
…..
До того места, где ловили в прошлый раз, не докинуть. То ли поэтому ( не попасть на тропу), то ли от того, что просто физически не докинуть ( а может и сама тропа сместилась ), налима сегодня нет ( ПОКА нет).
Одна мелкая густера, одна вимба…… И всё…
Пока что как то так
…
Но ребята не унывают. Собираются ловить всю ночь..)) .
04.01.2025 в 04:10#45867Главная › Форумы › Вести с рыбалок › Рыбалка в Эстонии : Реки, озера, заливы и прочее. › Реки: › Казари / Kasari jõgi › Казари / Kasari jõgi

VeberУчастникKasari jõgi. Альма матер. One love.)
04.01.2025 в 10:16#45869Главная › Форумы › Вести с рыбалок › Рыбалка в Эстонии : Реки, озера, заливы и прочее. › Реки: › Казари / Kasari jõgi › Казари / Kasari jõgi

rybalingХранитель………
… И ночь принесла свои плоды. ( см. фото ).
Но давайте поговорим за утро.
Созвонился с ребятами около 8-ми утра. Весёлые, в приподнятом настроении. Как будто и не было бессонной ночи.
Говорят, вечером с клёвом было глухо, и ощущалось, как опускается морозец. Видать поэтому все соседи свернулись и уехали. Даже та компания, которая установила бивак на берегу ( здоровую палатку ). В такой неделю жить можно.))
Ночью продолжало нести мусор, брёвна, кусты, пучки травы. Дважды фидеры чуть не унесло. Но с клёвом всё в порядке. Есть рыба.
На момент моего звонка показания на телефоне были -12С , а термометр в машине показывал -14С. Хорош, что нет ветра, а так бы ребята офигели . )
Река не встаёт, но приходится постоянно оббивать закраины.
Рыбаки планировали поехать домой в 8 утра, но в виду приемлемой погоды решили остаться ещё на несколько часов и попробовать с рассвета половить вимбу.«А» и «Б» благодарю за инфу и фото !
P.S. Медленнотекущую ( если не сказать нудную ) рыбалку разбавил застрявший рыбак. Решил на «полуджипе» пробраться на площадку и сел в жижу.
При помощи троса, сильной машины и не менее сильных диоматических выражений бедолагу выдернули и отволокли на твёрдую дорогу.
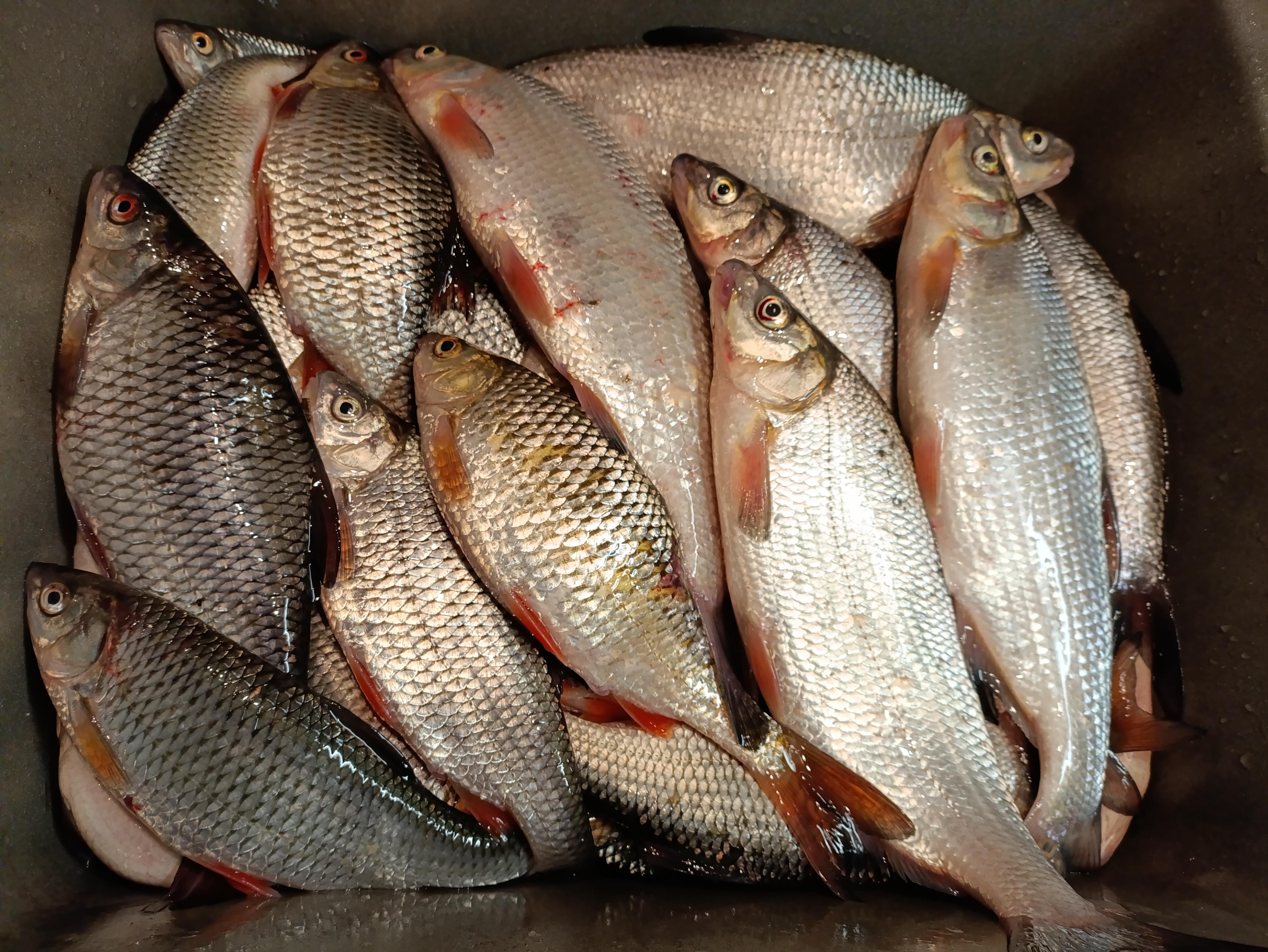
Так что, ребята, если и надумаете ехать на площадку, будьте аккуратны. Хоть сейчас там и мороз, грунт не схватился и сесть на брюхо можно на «раз-два». ))04.01.2025 в 10:27#45870Главная › Форумы › Вести с рыбалок › Рыбалка в Эстонии : Реки, озера, заливы и прочее. › Реки: › Казари / Kasari jõgi › Казари / Kasari jõgi

rybalingХранительА это «новогодний» улова. Ребята ловили в ночь с 31 декабря на 1 января

04.01.2025 в 12:17#45871Главная › Форумы › Вести с рыбалок › Рыбалка в Эстонии : Реки, озера, заливы и прочее. › Реки: › Казари / Kasari jõgi › Казари / Kasari jõgi

rybalingХранительКазариские красоты.

Сидим курим. Ждём вимбу.)
04.01.2025 в 14:22#45872Главная › Форумы › Вести с рыбалок › Рыбалка в Эстонии : Реки, озера, заливы и прочее. › Реки: › Казари / Kasari jõgi › Казари / Kasari jõgi

rybalingХранительВода потихоньку загустевает. Местами идёт шуга, проплывают льдинки и льдины.
04.01.2025 в 14:23#45873Главная › Форумы › Вести с рыбалок › Рыбалка в Эстонии : Реки, озера, заливы и прочее. › Реки: › Казари / Kasari jõgi › Казари / Kasari jõgi

rybalingХранительНовая команда приехала на речку и расчищают себе места лова.
05.01.2025 в 13:30#45878Главная › Форумы › Вести с рыбалок › Рыбалка в Эстонии : Реки, озера, заливы и прочее. › Реки: › Казари / Kasari jõgi › Казари / Kasari jõgi

rybalingХранительЧто на это фото НЕ ТАК??
А. Вместо рыбака в синем «Ремингтоне» должен быть Санта Клаус.
Б. Персонажа с удочкой оставляем, но снег заменяем зелёными листочками.
😁😁
05.01.2025 в 13:31#45879Главная › Форумы › Вести с рыбалок › Рыбалка в Эстонии : Реки, озера, заливы и прочее. › Реки: › Казари / Kasari jõgi › Казари / Kasari jõgi

rybalingХранитель
06.01.2025 в 12:18#45882Главная › Форумы › Вести с рыбалок › Рыбалка в Эстонии : Реки, озера, заливы и прочее. › Реки: › Казари / Kasari jõgi › Казари / Kasari jõgi

WIZARDУчастникВ. Убираем «фидер», а в руки зимнюю «балалайку»
11.01.2025 в 12:11#45908Главная › Форумы › Вести с рыбалок › Рыбалка в Эстонии : Реки, озера, заливы и прочее. › Реки: › Казари / Kasari jõgi › Казари / Kasari jõgi

rybalingХранительТо, что сейчас творится на улице ( улицАХ ) в комментариях, думаю, не нуждается. Можно даже никуда из дома не выходить, а просто глянуть в окно.
И вот в такую «эпидерсию», когда под ногами каша из воды и снега в 30см, ребята решили «тряхнутьстари… молодостью»: плюнули на эту непогодь и выехали на речку.
Сейчас ещё на полпути…. Удастся ли пробраться к реке, найдут ли открытую воду, смогут ли начать ловить и , в конечном итоге, поймают ли кого — узнаем ближе к вечеру.11.01.2025 в 15:35#45909Главная › Форумы › Вести с рыбалок › Рыбалка в Эстонии : Реки, озера, заливы и прочее. › Реки: › Казари / Kasari jõgi › Казари / Kasari jõgi

rybalingХранительПо приезду на место ничего страшного ребята не обнаружили. Река открыта.

Да, снега очень много. Да, у берегов есть закраины. Да, по воде несёт немного всякой шняги, иногда проплывают льдинки, но в целом ловить можно.
А потом…..11.01.2025 в 16:57#45910Главная › Форумы › Вести с рыбалок › Рыбалка в Эстонии : Реки, озера, заливы и прочее. › Реки: › Казари / Kasari jõgi › Казари / Kasari jõgi

rybalingХранитель…..
…А потом Игорь Нежадный разбушевался. ))24.01.2025 в 17:10#45975Главная › Форумы › Вести с рыбалок › Рыбалка в Эстонии : Реки, озера, заливы и прочее. › Реки: › Казари / Kasari jõgi › Казари / Kasari jõgi

HomjakУчастникСкатались на Казари. Ловили с 13 до 20. Днём вимба и плотва. Под вечер 3 ерша. Около 5 вечера за 20 минут сели три налима. 37, 41 и 43см. Последний пузатый. Не знаю с икрой или уже отметал, так как всю рыбу отдал напарнику на уху. Одного взяли на выползка, двух других на мясо плотвички. Больше поклёвок не было.
25.01.2025 в 15:33#45980Главная › Форумы › Вести с рыбалок › Рыбалка в Эстонии : Реки, озера, заливы и прочее. › Реки: › Казари / Kasari jõgi › Казари / Kasari jõgi

rybalingХранительСвежая и ПРАВДИВАЯ ))) ( а другой у нас и не бывает
) информация с Казари.
Относительно прошлых дней вода упала, и довольно серьёзно. Берега во многих местах оголились, хотя и топкие. Течение средне-сильное, но груз 100гр. держит спокойно. Грязи несёт мало.
На площадку В ПРИНЦИПЕ проехать можно, но лишь на джипе.Инфа по рыбе. Вчера.
Рыбак ловил с 15 до половины второго ночи. В улове 2 весьма неплохих вимбы ( 37-38см ), 6 мерных налимов. Семеро из немерной налимной братвы плавают дальше.Игоря БЛАГОДАРЮ за информацию !!

12.02.2025 в 14:21#46143Главная › Форумы › Вести с рыбалок › Рыбалка в Эстонии : Реки, озера, заливы и прочее. › Реки: › Казари / Kasari jõgi › Казари / Kasari jõgi

rybalingХранительДорога на площадку подмёрзла, а с ней и грязь. Но всё равно к самой площадке проехать можно только лишь на джипе. Малолитражка не пройдёт. Да и смысл ?? Вся река в этом месте от берега до берега затянута льдом, промоин нет. Ловить невозможно.
Ниже по течению, у самого моста, есть ешё открытая вода, и довольно широко. Но закраины уже большие и, по всей видимости, сегодня-завтра затянет и там. Но ТЕОРЕТИЧЕСКИ пока ещё ловить донками можно ( предварительно разломав закраины ).Фото специально для Антона три недели назад прислали рыбаки — финны. Спецбандеролью. )))
Для всех остальных: фото сделано сегодня в 12.09 рыбаками, возвращающимися с Сааремаа. Это не сама площадка, а дорога ОТ НЕЁ назад к трассе. На самой площадке ситуация похуже.

27.02.2025 в 16:24#46295Главная › Форумы › Вести с рыбалок › Рыбалка в Эстонии : Реки, озера, заливы и прочее. › Реки: › Казари / Kasari jõgi › Казари / Kasari jõgi

rybalingХранитель
Вчера вечером рыбак «А» прислал мне только это фото.
Сегодня к обеду созвонился, получил информацию.
….27.02.2025 в 17:24#46296Главная › Форумы › Вести с рыбалок › Рыбалка в Эстонии : Реки, озера, заливы и прочее. › Реки: › Казари / Kasari jõgi › Казари / Kasari jõgi

rybalingХранитель«Привет.
Рыбачил выше площадки. Начал примерно в начале девятого. Клёв — просто огонь. Особенно до 11-ти . На две удочки ловить было невозможно. Только опускаешь — бац! Есть! И давай её вываживать на тонюсенькую лесочку. Если был бы какой канат, типа 0.16мм., то можно было бы не миндальничать, а тянуть как лебёдкой. А так каждая рыбака брала время. Но и удовольствие выше крыши.
Лёд как решето, весь в старых лунках. Когда заходил, вроде был ещё нормальный, но выход уже был стрёмный. Везде вода на льду. А верхний слой стал как губка. Неприятное ощущение. К тому же на реке был один. Рядом вообще ни души. А на льду в паре мест большие дыры. Видно, что уже кто то проваливался. И не рядом с берегом, а ближе к середине реки.
Короче, до 11-ти надёргал больше, чем полведра. Плотва отборная. Много ЗА триста гр. Наверное около половины ( Не 200, не 250, и даже не около 300, а именно ЗА ТРИСТА . Общий вес это показал ). Ближе к 12-ти течение встало и клёв стал намного хуже. Приходилось играть и драkонить каждую рыбку. И размер стал чуть меньше.
Короче, дома подсчитал . Вышло 65 плотвин. Общий вес 19.200 И одна здоровенная густера гр. так на 500. В общий вес не вошла.Уезжая, остановился у моста. По реке до поворота вода открыта. Хотел ещё в пятницу повторить заезд, но боюсь уже будет очень проблематично.»
Рыбака «А» благодарю за инфу и фото !
27.02.2025 в 21:00#46297Главная › Форумы › Вести с рыбалок › Рыбалка в Эстонии : Реки, озера, заливы и прочее. › Реки: › Казари / Kasari jõgi › Казари / Kasari jõgi
АнонимНеактивированныйКакой то пост, аж противный. Или Максуд на каких то эмоциях написал. Кто то проваливался, какие то дыры, что это такое, и что там за чудак рыбачил, тем более один на всю реку. Так и хочется спросить: нахрена такая рыба, которая может быть последняя, как и жизнь. А главное ни слава НЕ ХОДИ. Придут Макс в твой магаз, ажиотаж ты создаёшь, репортажами захватывающими, с тем, что жди, ещё завтра продолжение допишу. И главное, рыбаки Х, Р, А, и тд. какие то, виртуальные личности. Кто их знает, кто им верит, не пора ли эту практику прекратить.
27.02.2025 в 23:50#46299Главная › Форумы › Вести с рыбалок › Рыбалка в Эстонии : Реки, озера, заливы и прочее. › Реки: › Казари / Kasari jõgi › Казари / Kasari jõgi

Viktor KorolУчастникВсем привет! Хочу сказать всем , что эта информация от Макса истинная правда. Так я побывал с этим рыбаком на реке Казари 24.02.2025 г. и отловились не плохо. И через день 26.02. этот рыбак рискнул вновь поехать половить приличную плотку.Предлогал поехать с ним , но я отказался. Я с ним созвонился утром , как только он приехал на это место. То, что писал Макс, это истинная правда.
27.02.2025 в 23:54#46300Главная › Форумы › Вести с рыбалок › Рыбалка в Эстонии : Реки, озера, заливы и прочее. › Реки: › Казари / Kasari jõgi › Казари / Kasari jõgi

skorpionУчастникЯ таки глубоко извиняюсь, ШОя здесь накалякаю. Если люди (рыбаки) не хотят себя афишровать. Вот давече, года так три тому назад, а может и четыре. Некоторые ребята спрашивали о ловле карпа, а они еще те. На паюнкула да и в других местах золотые))). может кто и понял. Ну а мне тогда перло в ловле карпа, и Человек попросил мой номер телефона. Макс спросил, можно ли дать?? я дал добро.ну если я не хочу сидеть на форуме, просто светится, почему нельзя меня назвать. П. Х. ну и так далее. не нравится форум есть другие… ИЗВИНИТЕ шо ТАК НАПИСАЛ)))
28.02.2025 в 16:21#46305Главная › Форумы › Вести с рыбалок › Рыбалка в Эстонии : Реки, озера, заливы и прочее. › Реки: › Казари / Kasari jõgi › Казари / Kasari jõgi
jususУчастникХаритон Уильям и Йозеф поехали на рыбалку.Угадайте,что они поймали? Ходят упорные слухи,что эта троица{в разное время} собирается посетить все водоемы Эстонии.Будте бдительны,увидете их-напишите.
08.03.2025 в 21:23#46395Главная › Форумы › Вести с рыбалок › Рыбалка в Эстонии : Реки, озера, заливы и прочее. › Реки: › Казари / Kasari jõgi › Казари / Kasari jõgi

rybalingХранительРыбак «С» в данную минуту возвращается с Казари.
Ловил метров 300-400 ниже площадки.
Вот что он мне поведал……
…
08.03.2025 в 22:32#46398Главная › Форумы › Вести с рыбалок › Рыбалка в Эстонии : Реки, озера, заливы и прочее. › Реки: › Казари / Kasari jõgi › Казари / Kasari jõgi

rybalingХранительХотя он и поехал на «Субару», до самой площадки так и не добрался. Сел на брюхо и едва-два смог выбраться без посторонней помощи. Припарковался ниже, у поворота. Но по его словам на площадку все таки проехали «Крузаки» и «Вольвешники». Машин 7-8 там было.
Ловить начал примерно с 9 утра.
Вода мутная, течение сильное, откровенной грязи не так уж и много. Изредкапл реке проплывали ветки и небольшие кустарники. Воды так много, что стоит даже в полях.
Ловил кормушкой 90 и 100гр плюс вес корма ( забивал полностью) .
На бутерброд охотно отзывалась плотва ( некоторые особи до 400гр) и густера. Последняя была разнокалиберной, но забирался лишь крупняк.
Вимбы не было ни одной. А его сосед тягал одну за другой.
Когда этот мужчина уходил, то презентовал рыбаку «С» две оставшиеся у него креветки. ( Спасибо доброму человеку!) И на этот подгон, «законтренный» червяков, дабы рыба не так быстро снимала наживку, «С» поймал 9 вимб. Рыба вся достойная, мелочи не было.
Две не смог перетащить через траву у берега. И вообще, с его слов чуть ли не половина улова остались в этой траве. Вместе с добрым десяток крючков, поводками и четырьмя кормушками. Место для ловли было не самое лучшее. Но как я понял, это был участок берега, залитый водой.
Рыбачил до 18ти часов. Но начиная с 5 вечера рыба закрыла рот, и он за час не видел на фидеры ни единой поклевки.
Вместе с вимбой получилось 11 кг.
Рыбаков в пределах видимости было человек 20. Кто то оставался на ночь.
Рыбак «С» предупреждает: если у вас не джип с хорошей проходимость, а вы все таки решили рискнуть проехать до самой площадки, обзаведитесь знакомым трактористом.)
Рыбака «С» благодарю за информацию!
08.03.2025 в 22:35#46399Главная › Форумы › Вести с рыбалок › Рыбалка в Эстонии : Реки, озера, заливы и прочее. › Реки: › Казари / Kasari jõgi › Казари / Kasari jõgi

rybalingХранитель
08.03.2025 в 22:37#46400Главная › Форумы › Вести с рыбалок › Рыбалка в Эстонии : Реки, озера, заливы и прочее. › Реки: › Казари / Kasari jõgi › Казари / Kasari jõgi

rybalingХранитель
09.03.2025 в 17:35#46405Главная › Форумы › Вести с рыбалок › Рыбалка в Эстонии : Реки, озера, заливы и прочее. › Реки: › Казари / Kasari jõgi › Казари / Kasari jõgi
11.03.2025 в 00:57#46416Главная › Форумы › Вести с рыбалок › Рыбалка в Эстонии : Реки, озера, заливы и прочее. › Реки: › Казари / Kasari jõgi › Казари / Kasari jõgi

rybalingХранительЦЕННАЯ Информация от рыбака «С» для тех, кто планирует проехать на площадку на малолитражке.
( напомню: лично у него «Субару». И то встрял)

13.03.2025 в 20:01#46425Главная › Форумы › Вести с рыбалок › Рыбалка в Эстонии : Реки, озера, заливы и прочее. › Реки: › Казари / Kasari jõgi › Казари / Kasari jõgi

rybalingХранитель
13.03.2025 в 20:04#46426Главная › Форумы › Вести с рыбалок › Рыбалка в Эстонии : Реки, озера, заливы и прочее. › Реки: › Казари / Kasari jõgi › Казари / Kasari jõgi

rybalingХранительЕщё несколько дней назад вимба по утру ловилась дуплетами.
……
Ладно, хватит о вимбе и плотве. Обещал про язя рассказать.
Поехал, значит, мой знакомый на в заповедник проверить язя. Хотел сначала в Клоостри направиться, но, по его мнению, рыбы там много. Даже школьник поймает.)))) Типа, не интересно.
Забурился он в одно из разрешённых мест и стал пытать счастье на шестиметровую болонку.
30 минут пытает, 40…. 50. Нет поклёвок. ВООБЩЕ никакая рыба не берёт.
Что за дела такие?? Ладно язь…. Ну, может быть, не зашё ещё. Ну а вимба то с плотвой где??
И вот,когда время лова пошло уже на второй час, язёк клюнул. ну, как «язёк». Не очень большой. Средненький такой. На два килограмма. ))
Ага… Значит рыба всё таки есть….. И опять наш рыбак каждые две минуты перезакидывает удочку, ловит и в предержку, и просто длинной проводкой. …… Не хочет брать язь. А время то идёт. Ветер ледяной , северный. И как раз прямо в лицо. Да и руки мёрзнут.
И решил тогда наш рыбак попробовать поставить фидер. И тут как будто реку сменил. Рыба стала периодически поклёвывать и даже ловиться. Странно, конечно: на проводку на червяка с опарышем не хочет, а на ту же наживку и на стоячку фидерную отзывается.
Менее чем за полтора часа на фидер была взята вимба ( то ли 34, то ли 36 см. Но среди других рыб она выглядит недомерком-сиротинушкой ) и ещё 6 язей . Самый большой потянул на 2340гр.Говорит, что если бы остался, то пару-тройку штук поймал бы точно, но. Замёрз малёхо. И ещё….. Почему то наш рыбак уверен, что на Клоостри язя в разы больше.
Ну, может в следующий раз он и проверит.Это всё происходило 2 дня назад.
Фотки выставлю позже.15.03.2025 в 17:36#46456Главная › Форумы › Вести с рыбалок › Рыбалка в Эстонии : Реки, озера, заливы и прочее. › Реки: › Казари / Kasari jõgi › Казари / Kasari jõgi

rybalingХранитель20.03.2025 в 19:47#46529Главная › Форумы › Вести с рыбалок › Рыбалка в Эстонии : Реки, озера, заливы и прочее. › Реки: › Казари / Kasari jõgi › Казари / Kasari jõgi

rybalingХранительВчера один мой знакомый прокатился до Клоостри. Рыбачил по утру, минут 40-50 на болонку. Ни единой поклёвки. За время его рыбалки ни один из присутствующих рыбаков не поднял из воды ни единой рыбки.
Как то так.
Такая же ситуация наблюдалась и в районе Румба. Только там рыбаков не было.
Конечно, всё может поменяться в любой день, но обещанного на среду тепла я как то особо не ощутил ни вчера, ни сегодня.23.03.2025 в 20:35#46570Главная › Форумы › Вести с рыбалок › Рыбалка в Эстонии : Реки, озера, заливы и прочее. › Реки: › Казари / Kasari jõgi › Казари / Kasari jõgi

SlavikУчастникЛовили сегодня в районе Vanamõisa, полный облом. Ни одной вимбы, только несколько плотвиц. У соседей тоже самое.
23.03.2025 в 22:44#46574Главная › Форумы › Вести с рыбалок › Рыбалка в Эстонии : Реки, озера, заливы и прочее. › Реки: › Казари / Kasari jõgi › Казари / Kasari jõgi

rybalingХранительСлавик, не расстраивайся шибко . В своих о домах ты не одинок.
Alex 1 со своей командой вчера и сегодня шерстил Kloostri на предмет плотвы.
По его мнению, Делать там нефиг.. только Язь и северное сияние)) . Плотвы поэтому пока вообще нет. Хотя уровень воды идеальный и за полтора дня они в несколько смычков обследовали все свои секретные и полусекретные ( годами наработанные) места и точки.
Увы. Хоть Язь и есть, но ни единой плотвы и ни одной вимбы ни на фидеры/ донки, ни на болонки не поймали.
Зато ночью вот такое завораживающие зрелище предстало перед нашими рыбаками.
23.03.2025 в 23:36#46576Главная › Форумы › Вести с рыбалок › Рыбалка в Эстонии : Реки, озера, заливы и прочее. › Реки: › Казари / Kasari jõgi › Казари / Kasari jõgi

rybalingХранительАвтор данного видео (как и герой видео) Alex 1.
Этот парень не любит прилюдно светить свое имя. Но часто присылает мне фото и интересные, либо просто прикольные видео о своих рыбалках( в минувшем году их набралось более десятка).
Многие из нас СПЕЦИАЛЬНО преодолевают несколько сот километров, дабы половить ( ну и, конечно же, забрать) рыбу «чьей то мечты»)))
А кто то его ловит и отпускает.
Поэтому, зная как Alex 1 относится к Матушке Природе и к ихтиофауне в частности ( сколько ДОСТОЙНЫХ рыб отпускает и никогда не берет забагренных) , я набрался наглости, позвонил ему и попросил «дать добро» на обнородование имени «режиссёра».
Ну, потому что, по моемУ мнению, страна должна знать своих героев. Либо в лицо, либо по погонялам и кличк…. ОЙ! Я хотел сказать по Никам.)))
Видео от Alex»a 1.
23.03.2025 в 23:37#46577Главная › Форумы › Вести с рыбалок › Рыбалка в Эстонии : Реки, озера, заливы и прочее. › Реки: › Казари / Kasari jõgi › Казари / Kasari jõgi
23.03.2025 в 23:46#46579Главная › Форумы › Вести с рыбалок › Рыбалка в Эстонии : Реки, озера, заливы и прочее. › Реки: › Казари / Kasari jõgi › Казари / Kasari jõgi

rybalingХранитель«ЧЁООО?.. Рыба мечты??
Да упритесь вы!!…. Таких мы отпускаем)))»
(Цитата от Alexa 1).
24.03.2025 в 03:15#46580Главная › Форумы › Вести с рыбалок › Рыбалка в Эстонии : Реки, озера, заливы и прочее. › Реки: › Казари / Kasari jõgi › Казари / Kasari jõgi

VeberУчастник«Только Язь и северное сияние!»
Это вам не это… Понимать надо!))28.03.2025 в 10:20#46613Главная › Форумы › Вести с рыбалок › Рыбалка в Эстонии : Реки, озера, заливы и прочее. › Реки: › Казари / Kasari jõgi › Казари / Kasari jõgi

borodaУчастникВсем привет.
Совершили марш-бросок по любимой реке. Если коротко — то крупная плотва по реке распределилась, особенно в верховье. Вимбы наблюдалось мало. Что в заповеднике я не знаю.Но. Время есть, на клаву я давлю быстро (научился в написании «Временных технологических ИНСТРУКЦИЙ»… постоянне чего, как известно, нет на всём белом свете). Кто читать не любим… просто посмотрите старые фотки.
У друга цель — вимба. Плотвы он уже с лихвой наловился. Поэтому и занялись её поиском, но именно на этой реке. Не доезжая до старого моста проверили одно местечко — ноль.У старого моста рыбаков почти не было. Покрутились мы, посмотрели и поехали дальше. Я поностальгировал. Вспомнил, как Батя меня — десятилетку на автобусе № 56 с автобусного вокзала с ночёвкой возил на рыбалку к этому мосту. А плотва тогда шла 9-ого мая в основном.
Из транзисторов звучали песни Победа. Рыбаки в шеренку по одному стояли прямо в реке и таскали очень крупную плотву. Я с бамбуковой двухколенкой рыбачил в канале. Ночевали под этим мостом.

Фото, конечно, не с тех прежних времён. Это память о классном рыбаке и лучшем человеке, которого я знаю. В молодости он в Берлине был. Не на рыбалке конечно.
А далее мы свернули под новый мост. Воды мало. Там стояла машина и трое рыбаков (я их называю «взлёт-посадка») пытались что-то изобразить. На левом берегу тоже парочка стояла. Долго наблюдать мы не стали. Поехали в сторону Румба и остановились на левом берегу реки где-то по середине между мостами и так называемой «площадкой». Здесь тоже поностальгировали. Вспоминали, как лет 10 назад, или более того, рыбачили крупную вимбу. Помню, что весы — мерило рыбацкого тщеславия, замирали на отметке за 1 кг. О как!
Вода в берегах. Утро далеко не раннее, т.к. только из дома мы выехали в 7 часов. Но у берега лёд. Пришлось его как-то ломать, т.к. подсак на вимбу я не беру, а полоса льда вряд-ли позволила мне продолжить долгую 100 % (без сходов и обрывов) серию поимки вимбы без подсака. Проловили пару часиков. А вимбы-то и НЕТ!
Периодически ловилась крупная плотва. Дома проверил глазомер. Достигала рыбка масса до 350 гр. А на том берегу парни скучали и сообщили, что с утра плотка поклёвывала не плохо. А сейчас всё затихло. И вымбы нет. Мол кто-то из знакомых «на площадке» с ночёвкой наловили по 10 — 15 кг плотвы. Тоже донками. Глубина там была не менее 5 м, но течка не сильная. Я использовал лёгкий фидер до 70 гр, а самодельная кормушка для быстрого течения массой 40 гр уверенно сидела на дне.
Поехали ностальгировать дальше. А алея на Румба — наше место для проведения поплавочных соревнований. Трасса достаточно равнозначная и вмещала она до тридцати рыбаков-спортсменов. Здесь каждый сектор знаком, здесь мне везло! Вспомнилась первая статискика на соревах. 10 соревнований — 10 призовых мест. Не все фотки сохранились, но вот это место. Ностальгия однако. Но есть, что вспомнить.




На дороге десяток машин. Рыбаки через каждые 15 м, как на соревах! Ловят все фидерами в доночно-дубинчатом режиме. Но и здесь крупная плова присутствует. Даже гораздо больше, чем в районе под названием «площадка». Один разговорчивый рыбак сказал, что с утра клёв был сильнее и у него уже порядка половины ведра.
Действительно, потаскивали крупную плотву многие. И садки и вёдра были в рыбе. Кто-то словил 1 вимбу. Вершинки донок дёргались постоянно, но реализация у рыбаков оставляла желать лучшего. На поплавок там сложно было проловить. Пришлось двигаться дальше в поисках свободного места.

Получилось, что со всеми этими «скачками» время именно для ловли у нас было не много. Но 11 кг крупной плотвы (от 150 до 350 гр) наловить удалось. Там и 6 вимб оказалось. Размер их тоже был приличный. От 500 до 570 гр. Ловил самодельными мормышками.
Некоторые с вмонтированной свинцовой дробинкой. Они были массой от 0,3 до 0,5 гр. Некоторые чисто пласиковые и невесомые. Это для слабого течения. Чётко подобранные крючки и их установка не давали рыбе шанса на сходы. Этим я очено доволен. От этого тоже балдею!
По старой привычке, т.к. люблю всё тестировать и анализировать, испытывать, подписываю диаметр лески по фактическому показанию микрометра. А не то, что написано на упаковке лески. Т.е. если в поводочнице я указываю 0,13 мм, то для Вас, дорогие друзья, это леска звучит, как 0,12 мм. Где подписаны мормышки для болонки на вимбу 0,16 мм — это по заводской маркировке значилось 0,14 мм.

Всем добра, а на водоёмах НХНЧ!
29.03.2025 в 14:12#46644Главная › Форумы › Вести с рыбалок › Рыбалка в Эстонии : Реки, озера, заливы и прочее. › Реки: › Казари / Kasari jõgi › Казари / Kasari jõgi

rybalingХранительПривет, Валера!!
Славно ты прокатился по верховью ! 👍👍
А мой знакомый вчера совершил вояж по нижней части реки, т. е. по заповеднику.
Побывал в четырёх местах, и с авторитетной уверенностью ( ну или с уверенной авторитетностью) может заявить: в низовье рыбы нет.
Он пробовал ловить на болонку и «под проводами «, и в Рыудна, и на Лийви, и в Клоостри.
Лишь на последнем месте встретил двух фидеристов, которые рыбачили с самого утра. ( начинали потемну). У одного из них был Язь, у другого одна вимба.
Сам он там тоже помочил поплавок минут 40.
Ни поклевки. Вся рыба выше.
29.03.2025 в 20:52#46664Главная › Форумы › Вести с рыбалок › Рыбалка в Эстонии : Реки, озера, заливы и прочее. › Реки: › Казари / Kasari jõgi › Казари / Kasari jõgi

borodaУчастникМАХОВАЯ УДОЧКА — ЛЕКАРСТВО ПРОТИВ СТРЕССА!
Наконец-то, ой наконец-то обкатал я в этом сезоне свою любимую снасть. А то всё: болонка, матч, фидер…
А сегодня лечил израненные нервы с помощью простой удочки. Самой простой и надёжной, как автомат Калашникова модернизированный № ЕП 2243 или швейная машинка ЗИНГЕРА (жена и сейчас порой что-то на ней строчит…).
Из забавного:
Сидели с другом в 8-ми метрах друг от друга. Он не хотел ловить плотву. И не стал (а поплавки плавали друг от друга порой на растоянии 1 м). Только вимбу.А я, применяя мах 8 м, не отказывал себе в удовольствтт таскать плотву. И именно так у нас и получалась, он раз за разом болонкой выуживал вимбу, а плотку крайне редко.
А я, стало быть, совсем наоборот. О как!
У друга — норма по вимбе. После и я решил потренировать свою махалку и на вимбе. Почти догнал. Всего 16 вимб и 50 плотвиц.
Размер вимбы и плотвы вполне приличный. Вся вимба за 500 гр, маломерок или менее 500 и не было вовсе. Плотвы особо крупной не было, в основном в районе 200 гр, парочка потянуло на 300.
Всем НХНЧ.
29.03.2025 в 21:30#46667Главная › Форумы › Вести с рыбалок › Рыбалка в Эстонии : Реки, озера, заливы и прочее. › Реки: › Казари / Kasari jõgi › Казари / Kasari jõgi

rybalingХранительПривет, Валера!.
СЛАВНО ты и твой напарник отловились!.
У меня сейчас там тоже рыбаки сидят. Пр ехали в 13-13.30. С прицелом на ночёвку.
Что то у них, конечно же, есть…. Ни как у тебя, РАЗУМЕЕТСЯ ))))
Но все же…))Отпишу позднее или уже завтра.
29.03.2025 в 22:25#46671Главная › Форумы › Вести с рыбалок › Рыбалка в Эстонии : Реки, озера, заливы и прочее. › Реки: › Казари / Kasari jõgi › Казари / Kasari jõgi

rybalingХранительЭта инфа не от рыбака «С», а от других людей.
Дружная семья решила выбраться на природу и по обшить молодое поколение к рыбалке.)
А в семье нехилый такой помощник растёт, однако))))
N. B.!!! §× Видео выставлено с разрешения родителей!
https://youtube.com/shorts/stnRbjySAwk?si=18YnWJfnB8_khPIq
29.03.2025 в 22:56#46673Главная › Форумы › Вести с рыбалок › Рыбалка в Эстонии : Реки, озера, заливы и прочее. › Реки: › Казари / Kasari jõgi › Казари / Kasari jõgi
ШурикУчастникА я был сегодня у старого моста.Через 10 минут пришло ещё 4 рыбака.Никто не видел даже поклёвки.Через 1.5 часа уехал в Тууди там где лицензия.Рыбаки были с рыбой.Но я уже не ловил, было поздно.
29.03.2025 в 23:44#46674Главная › Форумы › Вести с рыбалок › Рыбалка в Эстонии : Реки, озера, заливы и прочее. › Реки: › Казари / Kasari jõgi › Казари / Kasari jõgi

rybalingХранительЮрий ( лично с ним не знаком, но он разрешил выставить виде, фото и свою инфу) говорит, что сегодня объездил 4 водоема. Ни рыбы, ни рыбаков.
( КАКИЕ ИМЕННО водоёмы он посетил, мне не ведомо. Но раз он застолбился на Казари, предполагаю, что это Лийви и «иже с ними». То есть, район Маатсалу плюс — минус.
А на Казари в заповеднике у него было так…..
( фотография с несовершеннолетним публикуется с разрешения родителей)
29.03.2025 в 23:47#46675Главная › Форумы › Вести с рыбалок › Рыбалка в Эстонии : Реки, озера, заливы и прочее. › Реки: › Казари / Kasari jõgi › Казари / Kasari jõgi

rybalingХранительТри штуки. 1 кг., полтора и 1,84 кг.
Малой работал на подхвате)))) ( подсаком).
30.03.2025 в 12:42#46688Главная › Форумы › Вести с рыбалок › Рыбалка в Эстонии : Реки, озера, заливы и прочее. › Реки: › Казари / Kasari jõgi › Казари / Kasari jõgi
30.03.2025 в 17:57#46699Главная › Форумы › Вести с рыбалок › Рыбалка в Эстонии : Реки, озера, заливы и прочее. › Реки: › Казари / Kasari jõgi › Казари / Kasari jõgi

rybalingХранительРыбак, часто ловящий крупных и трофейных рыб, и чьи видео об этом нам часто доступны, пишет…..
«Максим, привет ещё раз. ! Вчера я тебе говорил, что было весело и кайфово во всех смыслах. И рыбка клевала, и погода бы суперский! Особенно когда мангал развели и уху поставили. Ммммммммммм! Тёплый вечер, дух от ухи с пряностями, пархающие Мотыльк и и бабочки…. И постоянный звон колокольчик ов на фидера.
В таком настроении просидели всю ночь. Но ночью грустно. Два налима и одна вимба. Вимб всего 4 шт. Зато Плотвы ведро 20 л под завязку 😅. Можно было больше, но куда столько.
У нас дождь, но не холодно. Рыбка ещё клюет, но мы уже стали собираться ( пост написан ы 12.15). Думаю к часу уже отчалил. »
Рыбака благодарю за отчёт, видео и фото!!
30.03.2025 в 18:08#46700Главная › Форумы › Вести с рыбалок › Рыбалка в Эстонии : Реки, озера, заливы и прочее. › Реки: › Казари / Kasari jõgi › Казари / Kasari jõgi
- АвторСообщения
- Для ответа в этой теме необходимо авторизоваться.
